Hẻm 3,5m Diện Tích 4x15m Giá 4,6 Tỷ Thương Lượng
4,6 tỷ
60m²
Đặc điểm
Mã tin
34375010
Cập nhật
3 tuần trước
Loại tin
Bán đất
Mức giá
4,6 tỷ
Diện tích
60m²
Địa chỉ
Phường Phú Thuận, Quận 7, Hồ Chí Minh
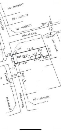
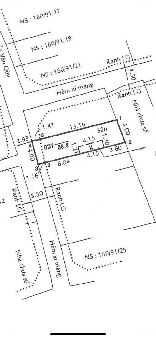
BÁN LÔ ĐẤT DT: 4x15m PHÚ THUẬN Q7 - 4,6 TỶ
--------------------------
Giá bán : 4,6 tỷ thương lượng
- Diện tích: 4x15m.Sổ hồng vuông vức
- Hẻm xe ba gác thông thoáng, cao ráo, xung quanh đầy đủ tiện ích.
- Khu dân cư hiện hữu, an ninh, thích hợp đầu tư , xây nhà ở hoặc cho thuê.
- Pháp lý: Sổ hồng riêng. Hổ trợ vay ngân hàng.
Hình ảnh
--------------------------
Giá bán : 4,6 tỷ thương lượng
- Diện tích: 4x15m.Sổ hồng vuông vức
- Hẻm xe ba gác thông thoáng, cao ráo, xung quanh đầy đủ tiện ích.
- Khu dân cư hiện hữu, an ninh, thích hợp đầu tư , xây nhà ở hoặc cho thuê.
- Pháp lý: Sổ hồng riêng. Hổ trợ vay ngân hàng.
Đặc điểm nổi bật
Diện tích :
60m2
Giá :
4,6 tỷ
Có thể bạn quan tâm
-
lô đất vị trí đẹp -mặt tiền hẻm 6m gò ô môi - đón đầu cầu phú mỹ 2 - 4,5m x 16m sổ hồng giá 7,55 tỷ
7,55 tỷ 72m² Đường Gò Ô Môi, Phường Phú Thuận, Quận 7, Hồ Chí Minh
-
đất đẹp 5x16m hoàng quốc việt quận 7 chỉ 9,99 tỷ. đường nhựa 10m. sổ riêng full thổ. hỗ ngân hàng
9,99 tỷ 80m² Đường Hoàng Quốc Việt, Phường Phú Thuận, Quận 7, Hồ Chí Minh
-
21 tỷ - khuôn đất 1314m2 vuông vức 26.7x49.2m hẻm xe tải huỳnh tấn phát quận 7 quy hoạch cao tầng
21 tỷ 1314m² Đường Huỳnh Tấn Phát, Phường Phú Thuận, Quận 7, Hồ Chí Minh
-
lô đất đẹp mặt tiền đường nhựa - hxh tránh - kdc cao tầng hiện hữu - 75m2 - 7,9tỷ
7,9 tỷ 75m² Đường Huỳnh Tấn Phát, Phường Phú Thuận, Quận 7, Hồ Chí Minh
-
bán 3 lô full thổ cư hxh đường gò ô môi - hẻm thông
7,55 tỷ 72m² Đường Gò Ô Môi, Phường Phú Thuận, Quận 7, Hồ Chí Minh
-
pkvh 260 liền kề phú mỹ hưng - đất ngang 5m - tiện xây mới 5 tầng - đường 10m có lề chỉ 20 tỷ
20 tỷ 97.5m² Phường Phú Thuận, Quận 7, Hồ Chí Minh