Tin đăng này đã hết hạn trên sosanhnha.com
Bạn có thể sử dụng công cụ tìm kiếm trên website để tìm những tin đăng mới nhất.
hoặc xem chi tiết tin
Có thể bạn quan tâm
Bán nhà riêng
Hẻm 8m Tô Hiệu - Tân Phú, 6x12m, Cấp 4, Giá 7,2 Tỷ.
7,2 tỷ
71m²
Đặc điểm
Mã tin
33772358
Cập nhật
15/10/2025
Loại tin
Bán nhà riêng
Mức giá
7,2 tỷ
Diện tích
71m²
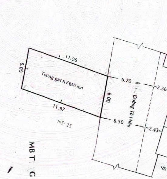
Địa chỉ
Đường Tô Hiệu, Phường Hiệp Tân, Tân Phú, Hồ Chí Minh
Vị trí: Hẻm 8m Tô Hiệu - gần Lý Thánh Tông.
* Diện tích: 6x12m
Kết cấu: cấp 4.
Tiện ích:
+ Hẻm 8m sạch sẽ, tiện xây mới, nhà có em bé nhỏ chơi trước nhà rất yên tâm.
+ Nhà vuông vắn.
+ Hẻm xe tải, 2 ô tô tránh nhau.
+ Kết nối giao thông thuận tiện:
- Chợ: 1km.
- Trường học: 300m.
Liên hệ: Trúc Linh. BĐS Tiến Phát.
* VP: Số 2 Thành Công, P. Tân Thành, Q. Tân Phú.
Hình ảnh
* Diện tích: 6x12m
Kết cấu: cấp 4.
Tiện ích:
+ Hẻm 8m sạch sẽ, tiện xây mới, nhà có em bé nhỏ chơi trước nhà rất yên tâm.
+ Nhà vuông vắn.
+ Hẻm xe tải, 2 ô tô tránh nhau.
+ Kết nối giao thông thuận tiện:
- Chợ: 1km.
- Trường học: 300m.
Liên hệ: Trúc Linh. BĐS Tiến Phát.
* VP: Số 2 Thành Công, P. Tân Thành, Q. Tân Phú.
Đặc điểm nổi bật
Diện tích :
71m2
Mặt tiền :
6m
Giá :
7,2 tỷ
Đường vào :
8m
Có thể bạn quan tâm
-
ngay chung cư cao cấp richstar :
hẻm 1/ tô hiệu_p.hiệp tân_q.tân phú
6,2 tỷ 52m² 3 Đường Tô Hiệu, Phường Hiệp Tân, Tân Phú, Hồ Chí Minh
-
- hẻm 7m thông đường chu thiên gần chợ cây keo phường hiệp tân dt 4mx19m 3,5 tấm giá 8,9 tỷ
8,9 tỷ 72m² Đường Chu Thiên, Phường Hiệp Tân, Tân Phú, Hồ Chí Minh
-
ban nhà khu vip 6m tô hiệu 52m2 đúc 2 tầng 3 phòng giá chỉ 6,19 tỷ tl
6,19 tỷ 52m² Đường Tô Hiệu, Phường Hiệp Tân, Tân Phú, Hồ Chí Minh
-
bán nhà trung tâm tân phú, hòa bình, 5,2 tỷ, cách đầm sen 1km, 2 tầng, 2pn, 2wc, pháp lý đầy đủ
5,2 tỷ 34m² 2 Đường Hòa Bình, Phường Hiệp Tân, Tân Phú, Hồ Chí Minh
-
hẻm ô tô bán nhà riêng tại tô hiệu, hiệp tân, tân phú, hồ chí minh, 6,19 tỷ, 52m2
6,19 tỷ 52m² 3 Đường Tô Hiệu, Phường Hiệp Tân, Tân Phú, Hồ Chí Minh
-
bán nr tô hiệu, hiệp tân, tân phú, hcm 6,19 tỷ, 52m2 đẹp, nhiều tiện ích
6,19 tỷ 52m² 3 Đường Tô Hiệu, Phường Hiệp Tân, Tân Phú, Hồ Chí Minh