Tin đăng này đã hết hạn trên sosanhnha.com Bạn có thể sử dụng công cụ tìm kiếm trên website để tìm những tin đăng mới nhất. hoặc xem chi tiết tin
Có thể bạn quan tâm Bán đất
Bán đất Nền Tại Xã Dạ Trạch, Khoái Châu, Hưng Yên, 28 Triệu / M2, 121 M2
bán đất nền tại xã dạ trạch, khoái châu, hưng yên, 28 triệu / m2, 121 m2
3,39 tỷ 121m²
Huyện Khoái Châu, Hưng Yên
2 giờ trước
Chính Chủ Bán 66m2 đất Thôn Hoàng Nha Xã Minh Hải Văn Lâm Giá Chỉ Hơn Tỷ
chính chủ bán 66m2 đất thôn hoàng nha xã minh hải văn lâm giá chỉ hơn tỷ
1,92 tỷ 66m²
Huyện Văn Lâm, Hưng Yên
2 giờ trước
LÔ ĐẤT ĐẸP Ở TRỤC CHÍNH KINH DOANH THÔN ĐÔNG MAI: 0835459289
 LÔ ĐẤT ĐẸP Ở TRỤC CHÍNH KINH DOANH THÔN ĐÔNG MAI: 0835459289
Liên hệ 64m²
Huyện Văn Lâm, Hưng Yên
3 giờ trước
Chính Chủ Gửi Bán 90m² Tại Khu Dân Cư Mới Hành Lạc: 0835459289
Chính chủ gửi bán 90m² tại khu dân cư mới Hành Lạc: 0835459289
Liên hệ 90m²
Huyện Văn Lâm, Hưng Yên
3 giờ trước

Hiếm-sát Vòng Xuyến-hàng Xóm Ecopark Và đô Thị Vaquarius-vừa ở Vừa Kinh Doanh được-giá Nhỉnh 10 Tỷ

Liên hệ 100m²
Đặc điểm
Mã tin 33710353
Cập nhật 08/10
Loại tin Bán đất
Mức giá Liên hệ
Diện tích 100m²
Địa chỉ Đường 379, Thị trấn Văn Giang, Văn Giang, Hưng Yên
Thông tin chi tiết
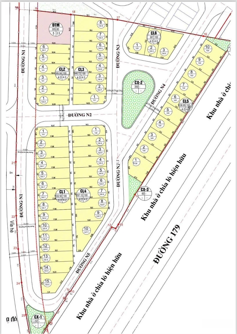
Đấu Giá Vòng Xuyến Văn Giang



- Diện tích : 100m. Mặt tiền : 8m

-Vị trí : Khu 1,1 ha, ngay sát vòng xuyến Văn Giang



Tiện ích xung quanh:

- Đối diện là vườn hoa trung tâm, không gian thoáng mát,Gần Ecopark hưởng nhiều tiện ích của khu đô thị

- Chỉ 200m tới Ủy ban Huyện, trường học, bệnh viện



- Kết nối dễ dàng với các đại đô thị như Ecopark, Vinhomes, Vaquarius , Hưng Thịnh Phát, Xuân Cầu

-Gần đường vành đai 3,5 kết nối dễ dàng với thủ đô HN

Tiềm năng

- Rất phù hợp để mở nhà hàng, khách sạn

- Giá cả cạnh tranh hơn so với khu vực
Đặc điểm nổi bật
Diện tích :
100m2
Mặt tiền :
8m
Giá :
Giá thỏa thuận
Đường vào :
10m
Hình ảnh
Dịch vụ và tiện ích quanh đây:
Giáo dục Giáo dục Mua sắm Mua sắm
Cửa Hàng Văn Phòng Phẩm 5.8 km 3 Ngõ 107 Thúy Lĩnh, Lĩnh Nam, Hoàng Mai, Hà Nội
Đường Z 6.4 km Trâu Quỳ, Gia Lâm, Hà Nội
Công Ty TNHH Cơ Khí Khuôn Mẫu - Nhựa Hiền Linh 6.8 km 11, Ngõ 615 Đ. Lĩnh Nam, Lĩnh Nam, Hoàng Mai, Hà Nội
Quầy thuốc Thanh Hoa 8.5 km Yên Mỹ, Gia Lâm, Hà Nội
Shop Mỹ Phẩm Luân Anh 9.3 km 79 Đ. Hoàng Mai, Hoàng Văn Thụ, Hoàng Mai, Hà Nội
Phòng Khám Chuyên Khoa Sản - KHHGĐ 9.8 km Ngã 3 Đ. Ngọc Hồi, Ngũ Hiệp, Thanh Trì, Hà Nội
Công Ty Cổ Phần Dược Thú Y Đại Nam 6.7 km 26 Đ. Mỹ Ả, Đông Mỹ, Thanh Trì, Hà Nội
Công Ty Cổ Phần Thiết Bị Kỹ Thuật Labvietchem 10 km Số 219 Nguyễn Khoái, Thanh Lương, Hoàn Kiếm, Hà Nội
Có thể bạn quan tâm
Được đăng bởi:
Phương Cao
Phương Cao