Tin đăng này đã hết hạn trên sosanhnha.com
Bạn có thể sử dụng công cụ tìm kiếm trên website để tìm những tin đăng mới nhất.
hoặc xem chi tiết tin
Có thể bạn quan tâm
Bán đất
Khu đất Phân Lô - 54m2 - Mặt Tiền đường Trương đình Hội - An Dương Vương
5,3 tỷ
54m²
Đặc điểm
Mã tin
34427518
Cập nhật
12/01
Loại tin
Bán đất
Mức giá
5,3 tỷ
Diện tích
54m²
Địa chỉ
Đường Trương Đình Hội, Phường 16, Quận 8, Hồ Chí Minh
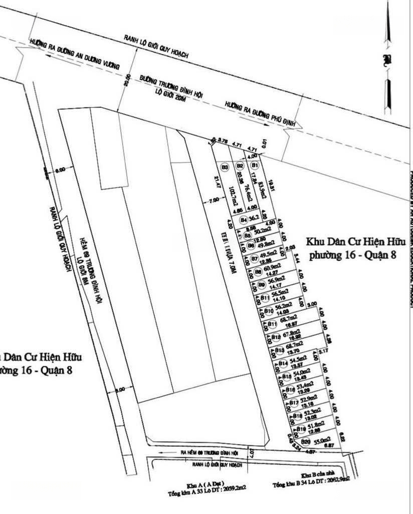
- Diện tích : 4*13
- Đất mặt tiền đường phân lô được xây dựng cao tầng. Thích hợp xây mới theo ý muốn
- Ngay khu dân cư cao cấp góc đường Trương đình hội - An dương vương
- Khu vực trung tâm thuận tiện đi Quận 6, Bình tân bình chánh. Vị trí thuận tiện đi vào trung tâm và các quận vùng ven
- Sổ Hồng Riêng
Hình ảnh
- Đất mặt tiền đường phân lô được xây dựng cao tầng. Thích hợp xây mới theo ý muốn
- Ngay khu dân cư cao cấp góc đường Trương đình hội - An dương vương
- Khu vực trung tâm thuận tiện đi Quận 6, Bình tân bình chánh. Vị trí thuận tiện đi vào trung tâm và các quận vùng ven
- Sổ Hồng Riêng
Đặc điểm nổi bật
Diện tích :
54m2
Mặt tiền :
4m
Giá :
5,3 tỷ
Đường vào :
12m
Có thể bạn quan tâm
-
đất 5x20 kdc bảo châu ,phường 16 quận 8
8 tỷ 100m² Đường Số 44, Phường 16, Quận 8, Hồ Chí Minh
-
giá : 5 tỷ 300 ( tl )đất thổ cư ( 4 x 13 ) đường trương đình hội - p.phú định q.8
5,3 tỷ 52m² Đường Trương Đình Hội, Phường 16, Quận 8, Hồ Chí Minh
-
bán đất mặt tiền đường 10m trương đình hội - an dương vương, xây mới cao tầng, giá 100tr/m2
5,2 tỷ 52m² Đường Trương Đình Hội, Phường 16, Quận 8, Hồ Chí Minh
-
giá : 5 tỷ 500 ( tl ) đất mặt tiền khu đồng bộ cao tầng p.an lạc ( 4 x 14 ) không lộ giới
5,5 tỷ 56m² Đường Trương Đình Hội, Phường 16, Quận 8, Hồ Chí Minh
-
cần bán đất đường 10m an dương vương, p16, quận 8 - cách võ văn kiệt 100m và nhiều tiện ích
5,7 tỷ 64m² Đường An Dương Vương, Phường 16, Quận 8, Hồ Chí Minh
-
bán nền thổ cư 4mx13,5m|hẻm nhựa 7m|sổ riêng|xây tự do|giá f0|giáp nút giao võ văn kiệt
5,4 tỷ 54m² Đường Trương Đình Hội, Phường 16, Quận 8, Hồ Chí Minh