Tin đăng này đã hết hạn trên sosanhnha.com Bạn có thể sử dụng công cụ tìm kiếm trên website để tìm những tin đăng mới nhất. hoặc xem chi tiết tin
Có thể bạn quan tâm Bán nhà biệt thự, liền kề
Biệt Thự Vip Handiresco Sân Vườn đẳng Cấp Thang Máy Nhập Khẩu Nội Thất Gỗ óc Chó (qtll10045)
biệt thự vip handiresco sân vườn đẳng cấp thang máy nhập khẩu nội thất gỗ óc chó (qtll10045)
170 tỷ 285m²
5 phòng ngủ
Quận Bắc Từ Liêm, Hà Nội
10 giờ trước
Duy Nhất Một Căn_ Liền Kề Nguyễn Tuân 6 Tầng Vị Trí Trung Tâm
duy nhất một căn_ liền kề nguyễn tuân 6 tầng vị trí trung tâm
42,5 tỷ 75m²
4 phòng ngủ
Quận Thanh Xuân, Hà Nội
10 giờ trước
Bán Biệt Thự Dt 144m2 Tại Vinhomes Ocean Park 2, 17 Tỷ Vnd
bán biệt thự dt 144m2 tại vinhomes ocean park 2, 17 tỷ vnd
17 tỷ 144m²
4 phòng ngủ
Huyện Gia Lâm, Hà Nội
13 giờ trước
BÁN BIỆT THỰ MẶT PHỐ THỌ THÁP. CẦU GIẤY. 200M2 - 4 TẦNG. MT 14M.
BÁN BIỆT THỰ MẶT PHỐ THỌ THÁP. CẦU GIẤY. 200M2 - 4 TẦNG. MT 14M.
92 tỷ 200m²
4 phòng ngủ 5 vệ sinh
Quận Cầu Giấy, Hà Nội
15 giờ trước

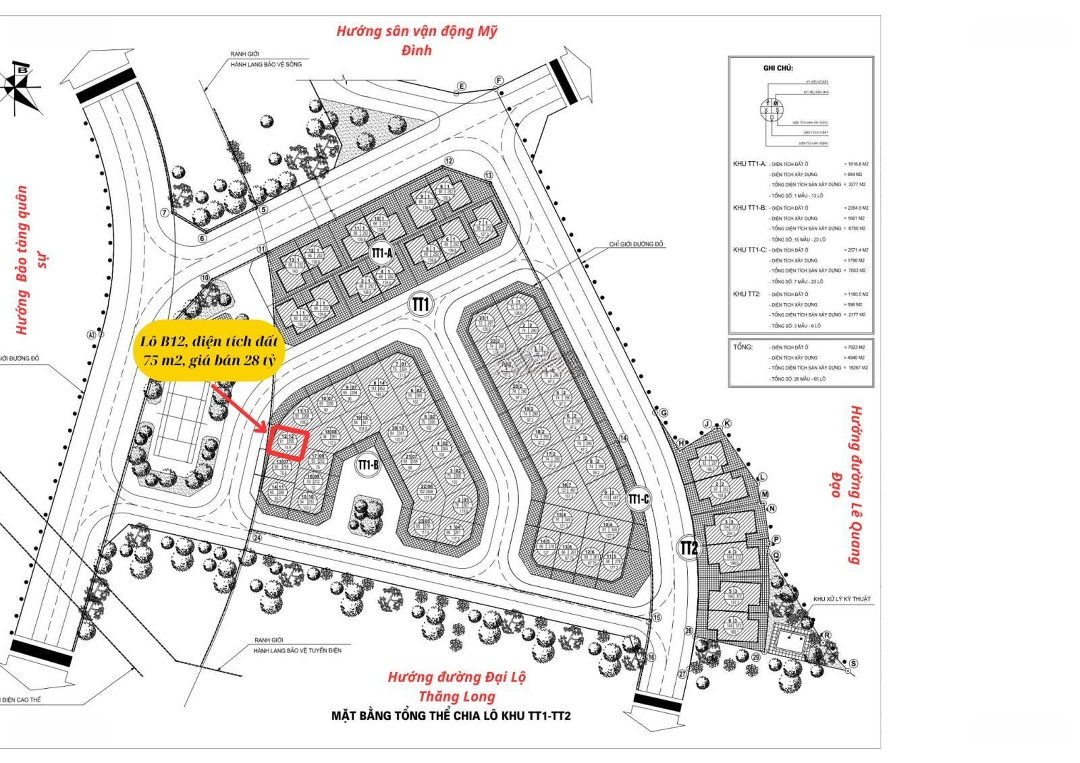
Liền Kề 75m2, 3 Tầng 1 Tum Sẵn Sổ đỏ Tại Gần Lê Quang đạo, Châu Văn Liêm, đại Lộ Thăng Long - 28 Tỷ

28 tỷ 75m²
Đặc điểm
Mã tin 33693473
Cập nhật 06/10/2025
Loại tin Bán nhà biệt thự, liền kề
Mức giá 28 tỷ
Diện tích 75m²
Địa chỉ Nhóm nhà ở Tây Nam Mễ Trì, Châu Văn Liêm, Phú Đô, Nam Từ Liêm, Hà Nội
Thông tin chi tiết
Bán căn BT Tây Nam Mễ Trì, Phú Đô, Nam Từ Liêm, Hà Nội.
Lô B12, diện tích đất 75 m2; xây dựng 3 tầng 1 tum, đầy đủ công năng, thiết kế hiện đại, sổ đỏ cất két, sẵn sàng sang tên.
Khu vực nóng, tiềm năng tăng giá đột biến với hàng loạt dự án trọng điểm đang gấp rút chuẩn bị triển khai: 36 bộ ban ngành, Vinhomes Green Bay 2,... hạ tầng đang đồng bộ được hoàn thiện.
Xung quanh vô vàn tiện ích: Công viên Mễ Trì, bệnh viện Hồng Ngọc, sân vận động quốc gia Mỹ Đình, Bảo tàng lịch sử quân sự Việt Nam, ...
Cộng đồng dân cư đa dang, dân trí cao: The Matrix One, Vinhome Smartcity, Vinhome Green bay,...
Pháp lý chuẩn chỉ, sổ đỏ có sẵn.
Liên hệ ngay: Mr Long
Đặc điểm nổi bật
Diện tích :
75m2
Giá :
28 tỷ
Hình ảnh
Dịch vụ và tiện ích quanh đây:
Công viên Công viên Giáo dục Giáo dục Ngân hàng Ngân hàng Mua sắm Mua sắm Y tế Y tế
Trọ của Na 1.9 km 19 Ng. 36 P. Miếu Đầm, Mễ Trì, Từ Liêm, Hà Nội
Plastic Joint Stock Company Phu Hoa An 2.3 km 272 Hữu Hưng, Đai Mỗ, Hà Đông, Hà Nội 100000
Công ty cổ phần giáo dục và du lịch Vietkite 2.7 km P1006, Tòa nhà B6B, Hanoi City, Khu đô thị Nam Trung Yên, Cầu Giấy, Hà Nội 100000
Đoàn Thanh niên Bộ Nội vụ 3 km Tôn Thất Thuyết, Mỹ Đình, Cầu Giấy, Hà Nội
Công ty TNHH Sơn Đông 3 km Toà nhà Kim Hoàn, Ngõ 19, Từ Liêm, Hà Nội
Khoa nội tiết 3.2 km 9 P. Trần Bình, Mai Dịch, Cầu Giấy, Hà Nội
Nha khoa thẩm mỹ Seoul 3.5 km 237 Khuất Duy Tiến, Nhân Chính, Thanh Xuân, Hà Nội 100000
Công ty TNHH Thương Mại Dược Phẩm Minh Quân 3.7 km LK3, Ngõ 67 Phùng Khoang, Trung Văn, Nam Từ Liêm, Hà Nội
Du học Bảo Anh - GMS 3.8 km Số 27, Liền kề 18, Khu đô thị Văn Khê, Hà Đông, Hà Nội 152261
Công Ty Cổ Phần Tòhe 4 km Số 8 P. Đỗ Quang, Trung Hoà, Cầu Giấy, Hà Nội
hanh 2.2 km 70, street, Nam Từ Liêm, 100000
Trụ sở công an phường Mỹ Đình 2 2.3 km 190 Đ. Mỹ Đình, Mỹ Đình, Từ Liêm, Hà Nội
Trường 2.5 km Trường Cao đẳng Đại, Mỹ Đình 1, Nam Từ Liêm, Hà Nội
Công Ty TNHH Giấy và Bao Bì Vipack 2.9 km 66 Lô CL29-04,05 khu đất, La Nội, Hà Đông, Hà Nội 10000
Nhà Thuốc Thúy Hằng 3.3 km 7 P. Lụa, Vạn Phúc, Hà Đông, Hà Nội
Công Ty Tnhh Phát Triển Thương Mại Và Dịch Vụ Ngọc Ánh 3.7 km 113 P. Mai Dịch, Mai Dịch, Hoàn Kiếm, Hà Nội
Viet Nam Plastic Window JSC 3.7 km 218, Khuat Duy Tien Street, Thanh Xuan District, Thanh Xuân Bắc, Thanh Xuân, Hà Nội
Dịch vụ diệt côn trùng BioX 3.8 km Tòa 101 Usilk city, Khu đô thị Văn Khê, Hà Đông, Hà Nội
Công Ty Cổ Phần Xây Dựng Và Môi Trường Hà Đô 3.9 km 6A Khu Tập Thể, Khu tập thể Thanh Xuân Bắc, Đống Đa, Hà Nội
Công ty cổ phần đầu tư và sản xuất nội thất tân thịnh phát 4 km Ng. 22 Phố Ngô Quyền, La Khê, Hà Đông, Hà Nội 100000
Răng Hàm Mặt 2.6 km 2 P. Lưu Hữu Phước, Mỹ Đình, Từ Liêm, Hà Nội
Cà Phê Tít 2.7 km 40 Đ. Mỹ Đình, Mỹ Đình, Từ Liêm, Hà Nội
CCIC 3 km Yên Hoà, Cầu Giấy, Hà Nội
Phòng Khám YHCT Khánh Thiện Đường 4.7 km 71 Ng. 116 Đ. Nguyễn Xiển, Thanh Xuân Nam, Thanh Xuân, Hà Nội
Bao Bì Hà Thành 5.5 km 42 P. Hoàng Sâm, Nghĩa Đô, Hoàn Kiếm, Hà Nội
Gỗ nhựa 5.6 km Tân Triều, Thanh Trì, Hà Nội
Viện Nghiên Cứu Giáo Dục Quốc ... 6.1 km 345 C, P. Giảng Võ, Chợ Dừa, Hoàn Kiếm, Hà Nội
Công Ty Cổ Phần Sản Xuất Và Dịch Vụ Pls Việt Nam 6.3 km 103 P. Cù Chính Lan, Khương Mai, Thanh Xuân, Hà Nội
Viện Tài nguyên Môi trường và Kiến thức Bản địa 6.4 km 36 P. Hoàng Cầu, Chợ Dừa, Hoàn Kiếm, Hà Nội
Giặt Là Minh Hải 6.4 km 32 Ngõ 168 Đường Kim Giang, Đại Kim, Hoàng Mai, Hà Nội
Viện Nghiên Cứu & Phát Triển Trung Tâm Nắng Mai 2.7 km 56 Khu Đô Thị Mỹ Đình 1, Cầu Diễn, Từ Liêm, Hà Nội
Khoa mắt 3.2 km 9 P. Trần Bình, Mai Dịch, Cầu Giấy, Hà Nội
Trung tâm Ngoại ngữ ECE 3.8 km Ng. Số 7 Đ. Hoàng Minh Giám, Trung Hòa Nhân Chính, Thanh Xuân, Hà Nội
Phòng Khám Chuyên Khoa Răng Hàm Mặt BS Đào Thu Hằng 4 km 198B Đ. Nguyễn Tuân, Nhân Chính, Thanh Xuân, Hà Nội
Công Ty Cổ Phần Đầu Tư T&C Hà Nội 4.1 km 10A Khuất Duy Tiến, Thanh Xuân Trung, Thanh Xuân, Hà Nội
Khoa Tim mạch - Lão học 4.2 km 2 Bế Văn Đàn, P. Quang Trung, Hà Đông, Hà Nội
Công Ty Cổ Phần Phát Triển Công Nghệ Tài Nguyên Xanh 4.3 km số 30 Phạm Văn Đồng, Mai Dịch, Hoàn Kiếm, Hà Nội
Công Ty Cổ Phần Truyền Thông Bất Động Sản Gtland Việt Nam 4.5 km 131 Trần Đăng Ninh, Dịch Vọng, Cầu Giấy, Hà Nội
Cửa Hàng Tinh Hoa Thảo Dược 4.9 km 118, Hạ Đình, Quận Thanh Xuân, Thành Phố Hà Nội, Hạ Đình, Thanh Xuân, Hà Nội
Phòng Chẩn Trị Y Học Cổ Truyền Dương Xuân Ưởng 5.3 km 95 P. Láng Hạ, Láng Hạ, Đống Đa, Hà Nội
Học Xoa Bóp Bấm Huyệt - Trung cấp Y Dược Tuệ Tĩnh HN 5.6 km 20 P. Đông Quan, Nghĩa Đô, Cầu Giấy, Hà Nội 100000
Phòng Chẩn Trị Y Học Cổ Truyền 5.9 km 4 P. Bùi Xương Trạch, Khương Đình, Thanh Xuân, Hà Nội
Phòng Khám Răng Hàm Mặt - Bs Đỗ Tiến Khanh 6.2 km 121 P. Đốc Ngữ, Vĩnh Phú, Ba Đình, Hà Nội
Trung Tâm Nghiên Cứu & Tư Vấn Phát Triển Khoa Học Kỹ Thuật 6.2 km 1 P. Liễu Giai, Liễu Giai, Ba Đình, Hà Nội
Công Ty Tnhh Dược Phẩm Việt Anh 6.7 km 20 Nguyễn Lương Bằng, Nam Đồng, Đống Đa, Hà Nội
Công ty TNHH Dược Phẩm Hoàng Dương 6.8 km 64, Đường Nguyễn Lương Bằng, Chợ Dừa, Đống Đa, Hà Nội
Công Ty Tnhh Dược Nano 7.3 km 6 Ng. Thịnh Hào 1, Hàng Bột, Hoàn Kiếm, Hà Nội
Phòng Chẩn Trị Y Học Cổ Truyền Bác Sĩ Thái Ngọc Thanh 7.4 km 5/228, Lê Trọng Tấn, Quận Thanh Xuân, Thành Phố Hà Nội, Định Công, Hoàng Mai, Hà Nội
Phòng khám chuyên khoa nhi Ngọc Tâm 7.8 km CT2, Khu đô thị Tây Nam Linh Đàm, Hoàng Mai, Hà Nội
Công Ty Cổ Phần Xuất Nhập Khẩu Minh Tâm 8.2 km 257 - B4 Giải Phóng, Phương Đình, Hoàn Kiếm, Hà Nội
Có thể bạn quan tâm
Được đăng bởi:
Trần Viết Long
Trần Viết Long