Tin đăng này đã hết hạn trên sosanhnha.com
Bạn có thể sử dụng công cụ tìm kiếm trên website để tìm những tin đăng mới nhất.
hoặc xem chi tiết tin
Có thể bạn quan tâm
Bán đất
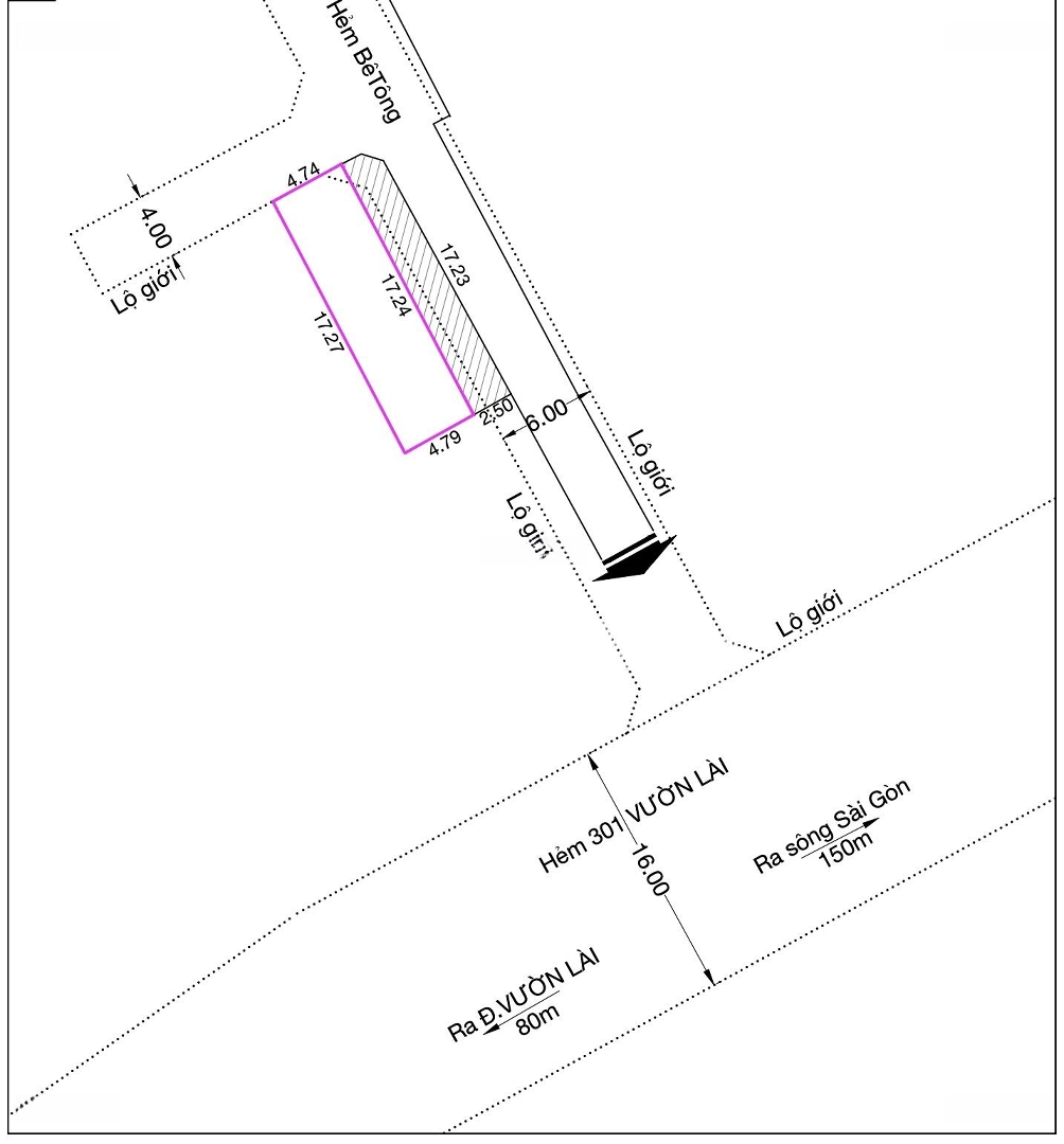
Lô đất Góc 2mt Ngang 17.4 Sâu7. Hẻm 301 Vườn Lài Gần Cầu Sắt Qua Gò Vấp
7,7 tỷ
120m²
Đặc điểm
Mã tin
33692116
Cập nhật
06/10/2025
Loại tin
Bán đất
Mức giá
7,7 tỷ
Diện tích
120m²
Địa chỉ
Đường Vườn Lài, Phường An Phú Đông, Quận 12, Hồ Chí Minh
Bán lô GÓC 2MT. Hẻm 301 Vườn Lài gần Gò Vấp và sông Sài Gòn
DT thực tế gần 17.4m x7m=120m2. Thổ cư 4.8x17.3=82.2m2 thổ cư. Được xây dựng gần như là full đất. Ko bị hệ số. (Tầng + tum)
Lô 2 mặt tiền nên xây nhà cực thoáng. Xây căn hộ dịch vụ, xây ở, cty rất ok
Giá 7.7 tỷ TL chính chủ
Hình ảnh
DT thực tế gần 17.4m x7m=120m2. Thổ cư 4.8x17.3=82.2m2 thổ cư. Được xây dựng gần như là full đất. Ko bị hệ số. (Tầng + tum)
Lô 2 mặt tiền nên xây nhà cực thoáng. Xây căn hộ dịch vụ, xây ở, cty rất ok
Giá 7.7 tỷ TL chính chủ
Đặc điểm nổi bật
Diện tích :
120m2
Giá :
7,7 tỷ
Có thể bạn quan tâm
-
bán đất vườn lài giá tốt.chỉ 1tỷ9/nền (100m) 5 x20m.nhựa thông xe. sát gò vấp. giá trị cao .
1,9 tỷ 100m² Đường Vườn Lài, Phường An Phú Đông, Quận 12, Hồ Chí Minh
-
bán đất tại an phú đông, quận 12, hồ chí minh, giá cực chất 8,95 tỷ, 107m2
8,95 tỷ 107m² Phường An Phú Đông, Quận 12, Hồ Chí Minh
-
lô đất full thổ cư, gần cầu rạch gia, vườn lài, ~4x14, dân cư cao cấp
6,5 tỷ 55.4m² Đường An Phú Đông 3, Phường An Phú Đông, Quận 12, Hồ Chí Minh
-
đất đẹp hẻm xe hơi 5x25m, an phú đông. đường võ thị thừa, gần đh nguyễn tất thành
5,15 tỷ 125m² Đường Võ Thị Thừa, Phường An Phú Đông, Quận 12, Hồ Chí Minh
-
đất an phú đông gần chợ vườn lài, quận 12- dt 100m2(4.7x21m)- hẻm xe tải - 6.3 tỷ tl
6,3 tỷ 100m² Đường Vườn Lài, Phường An Phú Đông, Quận 12, Hồ Chí Minh
-
đất dt 1138m đường quốc lộ phường an phú đông quận 12 ngang (14x80) giá 33tỷ
33 tỷ 1138m² Đường Quốc lộ 1A, Phường An Phú Đông, Quận 12, Hồ Chí Minh