Tin đăng này đã hết hạn trên sosanhnha.com
Bạn có thể sử dụng công cụ tìm kiếm trên website để tìm những tin đăng mới nhất.
hoặc xem chi tiết tin
Có thể bạn quan tâm
Bán đất
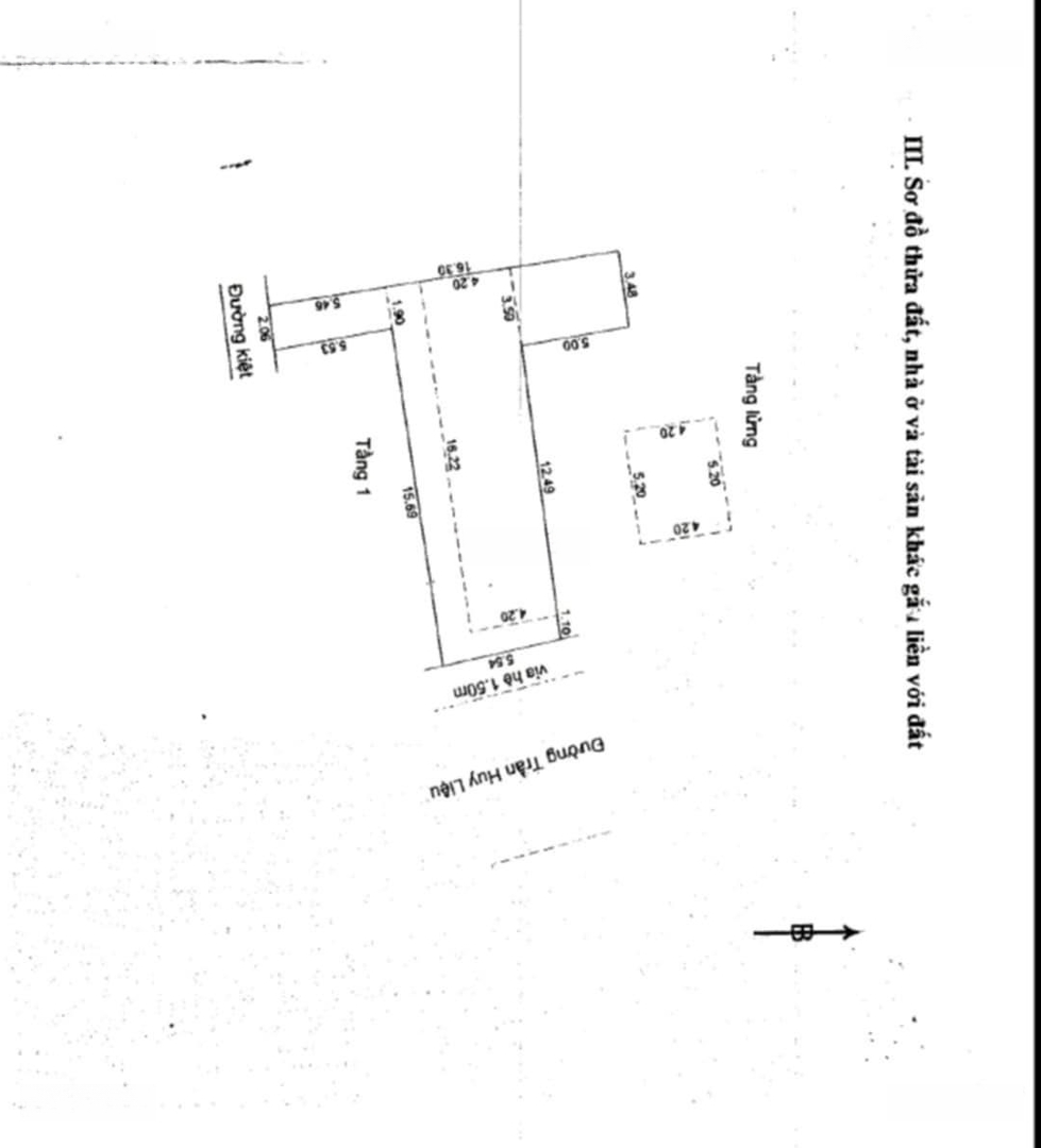
Lô đất Lớn 127m2 Mt Trần Huy Liệu, Khuê Trung. Chiều Ngang đến 5,5m.nở Hậu. đường Trước Nhà 7,5m.
4,29 tỷ
127m²
Đặc điểm
Mã tin
32962154
Cập nhật
30/06
Loại tin
Bán đất
Mức giá
4,29 tỷ
Diện tích
127m²
Địa chỉ
Đường Trần Huy Liệu, Phường Khuê Trung, Cẩm Lệ, Đà Nẵng
LÔ ĐẤT DT LỚN 127M2 MT TRẦN HUY LIỆU, KHUÊ TRUNG. CHIỀU NGANG ĐẾN 5,5M , CAO RÁO, NỞ HẬU, KIỆT BÊN HÔNG 4M. ĐƯỜNG TRƯỚC NHÀ 7,5M.
Xây được 2 nhà.Một nhà MT Trần Huy Liệu, một nhà đi kiệt bên hông 4m
GIÁ 4,29 TỶ.
Xây căn hộ vừa ở vừa cho thuê tuyệt vời. Khu vực trung tâm Cẩm Lệ. Kinh doanh buôn bán đỉnh. Gần chợ, trường học các cấp, UBND Quận, siêu thị, bệnh viện...Bán kính 1km tiện ích đầy đủ.
Xung quanh dân cư đông đúc, hàng xóm thân thiện. Khu vực nhiều khách quan tâm, tiềm năng tăng giá. Vào trung tâm chỉ 5 phút xe máy.
Liên hệ ngay: Tuấn Nhà phố Đà Nẵng - Hội An)
Xem nhà trực tiếp Cảm nhận giá trị thực!
Hình ảnh
Xây được 2 nhà.Một nhà MT Trần Huy Liệu, một nhà đi kiệt bên hông 4m
GIÁ 4,29 TỶ.
Xây căn hộ vừa ở vừa cho thuê tuyệt vời. Khu vực trung tâm Cẩm Lệ. Kinh doanh buôn bán đỉnh. Gần chợ, trường học các cấp, UBND Quận, siêu thị, bệnh viện...Bán kính 1km tiện ích đầy đủ.
Xung quanh dân cư đông đúc, hàng xóm thân thiện. Khu vực nhiều khách quan tâm, tiềm năng tăng giá. Vào trung tâm chỉ 5 phút xe máy.
Liên hệ ngay: Tuấn Nhà phố Đà Nẵng - Hội An)
Xem nhà trực tiếp Cảm nhận giá trị thực!
Đặc điểm nổi bật
Diện tích :
127m2
Mặt tiền :
5.5m
Giá :
4,29 tỷ
Đường vào :
7.5m
Có thể bạn quan tâm
-
duy nhất lô mặt tiền đường xô viết nghệ tĩnh giá đầu tư
17 tỷ 94m² Đường Xô Viết Nghệ Tĩnh, Phường Khuê Trung, Cẩm Lệ, Đà Nẵng
-
Bán Đất tặng Nhà đường Bùi Xương Trạch, Khuê Trung, Cẩm Lệ, Đà Nẵng
6,7 tỷ 160m² bùi xương trạch
-
bán lô đất biệt thự đảo nổi góc 3 mặt tiền view sông lớn
47,25 tỷ 675m² Đường Thăng Long, Phường Khuê Trung, Cẩm Lệ, Đà Nẵng
-
BÁN ĐẤT MẶT TIỀN THÀNH THÁI ĐƯỜNG 10,5M - KINH DOANH ĐA NGÀNH NGHỀ - GIÁ CHỈ HƠN 8 TỶ -100M2
8,2 tỷ 100m² THÀNH THÁI, KHUÊ TRUNG, CẨM LỆ, ĐÀ NẴNG
-
bán đất mặt tiền thành thái đường 10,5m - kinh doanh đa ngành nghề - giá chỉ hơn 8 tỷ -100m2
8 tỷ 100m² Đường Thành Thái, Phường Khuê Trung, Cẩm Lệ, Đà Nẵng
-
chào bán 3 vị trí trên 500m2 tuyến đường cách mạng tháng 8 - đà nẵng
45 tỷ 625m² Đường Cách Mạng Tháng Tám, Phường Khuê Trung, Cẩm Lệ, Đà Nẵng