Tin đăng này đã hết hạn trên sosanhnha.com
Bạn có thể sử dụng công cụ tìm kiếm trên website để tìm những tin đăng mới nhất.
hoặc xem chi tiết tin
Có thể bạn quan tâm
Bán nhà mặt phố
Lô Góc 2 Mặt Tiền đường 10.5 Khúc Hạo - Trục Chính Làm ăn Kinh Doanh - Thông Thẳng Ngô Quyền
21,95 tỷ
164m²
Đặc điểm
Mã tin
33819592
Cập nhật
21/10/2025
Loại tin
Bán nhà mặt phố
Mức giá
21,95 tỷ
Diện tích
164m²
Phòng ngủ
1 phòng ngủ
Địa chỉ
Đường Khúc Hạo, Phường Nại Hiên Đông , Sơn Trà, Đà Nẵng
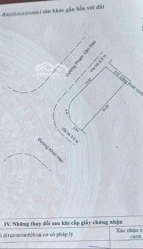
Lô góc 2 mặt tiền đường 10.5 Khúc Hạo - trục chính làm ăn kinh doanh - thông thẳng Ngô Quyền.
- Lô này xây căn hộ, khách sạn thì tuyệt với, mặt bằng phía dưới cho thuê, tổng thu nhập dự kiến 150 - 200 tr/tháng.
- DT 164m2, ngang 9m.
- 2 trục đường lớn 10.5m và 7.5m, vỉa hè 4m, hiện đang có nhà cấp 4 cho thuê 300tr/năm.
- Giá bán 21.95 tỉ có thương lượng.
Xem đất và xem thêm nhiều lô khác, alo em: Trâm
Hình ảnh
- Lô này xây căn hộ, khách sạn thì tuyệt với, mặt bằng phía dưới cho thuê, tổng thu nhập dự kiến 150 - 200 tr/tháng.
- DT 164m2, ngang 9m.
- 2 trục đường lớn 10.5m và 7.5m, vỉa hè 4m, hiện đang có nhà cấp 4 cho thuê 300tr/năm.
- Giá bán 21.95 tỉ có thương lượng.
Xem đất và xem thêm nhiều lô khác, alo em: Trâm
Đặc điểm nổi bật
Diện tích :
164m2
Mặt tiền :
9m
Giá :
21,95 tỷ
Số tầng :
1 tầng
Phòng ngủ :
1 phòng
Phòng tắm :
1 phòng
Đường vào :
10.5m
Có thể bạn quan tâm
-
tòa căn hộ 6 tầng ngay cạnh cầu rồng. vị trí siêu hiếm, pháp lý chuẩn công chứng ngay.
25,9 tỷ 91m² 10 Đường An Trung 3, Phường Nại Hiên Đông, Quận Sơn Trà, Đà Nẵng
-
cần bán nhà 2 tầng mới mt 7m5 lê chân sát trục khúc hạo
8 tỷ 71m² 3 Đường Lê Chân, Phường Nại Hiên Đông, Quận Sơn Trà, Đà Nẵng
-
bán nhà 2 mê đúc mặt tiền view pháo hoa quốc tế sơn trà - đà nẵng giá chỉ hơn 5 tỷ xxx
5,9 tỷ 50m² 2 Đường Nại Nghĩa 3, Phường Nại Hiên Đông, Quận Sơn Trà, Đà Nẵng
-
nhà 2 tầng mặt tiền 5m5 nguyễn hiền. công năng: 3p ngủ 2wc. diện tích:72m2 ngang 4m. hướng: tây nam
6,9 tỷ 72m² 3 Đường Nguyễn Hiền, Phường Nại Hiên Đông, Quận Sơn Trà, Đà Nẵng
-
bán nhà 3 tầng sát khúc hạo - dt 100m2 - đường 10m5 - giá nhỉnh 11 tỷ
Liên hệ 100m² 5 Đường Khúc Hạo, Phường Nại Hiên Đông, Quận Sơn Trà, Đà Nẵng
-
bán nhà 2 tầng đường khúc hạo . sơn trà , gần đương hồ sĩ tân . vị trí kinh doanh sầm uất
12,7 tỷ 125m² 3 Phường Nại Hiên Đông , Sơn Trà, Đà Nẵng