Tin đăng này đã hết hạn trên sosanhnha.com
Bạn có thể sử dụng công cụ tìm kiếm trên website để tìm những tin đăng mới nhất.
hoặc xem chi tiết tin
Có thể bạn quan tâm
Bán đất
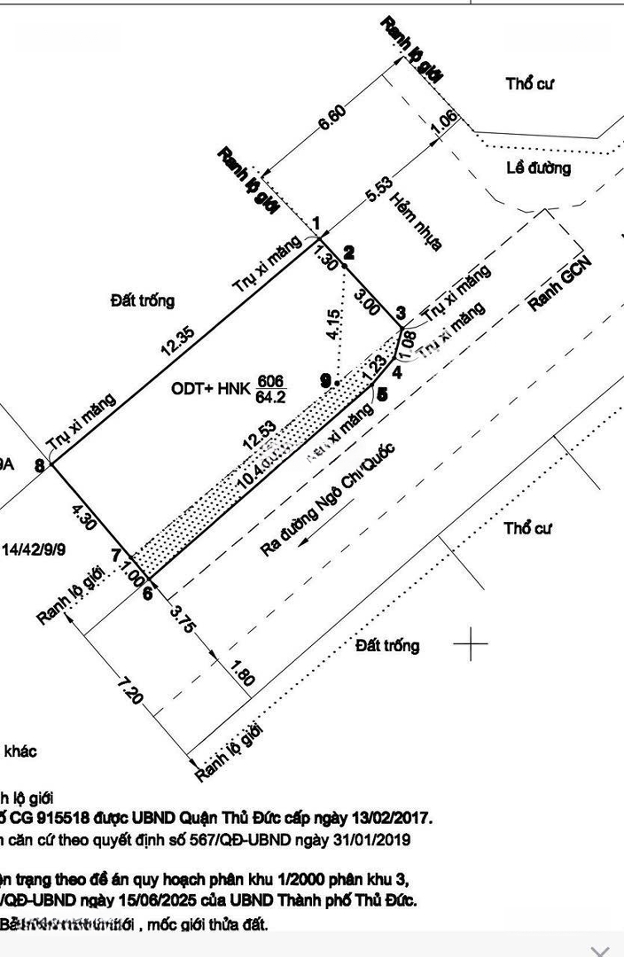
Lô Góc 2 Mặt Tiền Kênh Ba Bò - Hẻm 114 Ngô Chí Quốc, Bình Chiểu 64m2 Giá 3tỷ190
3,19 tỷ
64m²
Đặc điểm
Mã tin
33153752
Cập nhật
23/07
Loại tin
Bán đất
Mức giá
3,19 tỷ
Diện tích
64m²
Địa chỉ
114, Đường Ngô Chí Quốc, Phường Bình Chiểu, Thủ Đức, Hồ Chí Minh
CG Lô gốc 2 mặt tiền Kênh Ba bò - Hẻm 114 Ngô Chí Quốc..
Ngang 5,3 x 12,35m! Tổng diện tích 64m2 thổ cư 54m2!
Đường rộng 7m có vỉa hè cây xanh! Tặng Giấy Phép Xây dựng! Giá bán 3,19 tỷ ạ!
Cách Chợ Đầu mối chỉ 500m.
Lh: GC.
Hình ảnh
Ngang 5,3 x 12,35m! Tổng diện tích 64m2 thổ cư 54m2!
Đường rộng 7m có vỉa hè cây xanh! Tặng Giấy Phép Xây dựng! Giá bán 3,19 tỷ ạ!
Cách Chợ Đầu mối chỉ 500m.
Lh: GC.
Đặc điểm nổi bật
Diện tích :
64m2
Mặt tiền :
5.3m
Giá :
3,19 tỷ
Đường vào :
7m
Có thể bạn quan tâm
-
giá tốt nhất khu vực chỉ 1.25 tỷ sở hữu lô đất 70m2, ngay tecco home, an phú, thuận an, sổ hồng sẵn
Liên hệ 70m² Đường Tỉnh lộ 743, Phường Bình Chiểu, Thủ Đức, Hồ Chí Minh
-
cuối năm ra nhanh lô đất 80m2,sát chợ đầu mối,giá 890 triệu, sổ sẵn,mt ngô chí quốc,đầu tư sinh lời
Liên hệ 80m² Đường Ngô Chí Quốc, Phường Bình Chiểu, Thủ Đức, Hồ Chí Minh
-
chính chủ ngô chí quốc 3 tỷ liền khu dân cư tttm sầm uất múc sống cao sẵn hd thuê 2 năm 18 triệu
3 tỷ 80m² Đường Ngô Chí Quốc, Phường Bình Chiểu, Thủ Đức, Hồ Chí Minh
-
bán gấp lô đất 4x14 khu dân cư 62 ngô chí quốc, bình chiểu. sổ hồng riêng. hẻm xe hơi tận nơi.
3,55 tỷ 56m² Đường Ngô Chí Quốc, Phường Bình Chiểu, Thủ Đức, Hồ Chí Minh
-
chủ kẹt tiền, bán lô đất đẹp, (4.5 x 16 = 80m2), giá chỉ: 3.68 tỷ tl, bình chiều, tp thủ đức
3,68 tỷ 80m² Đường 20, Phường Bình Chiểu, Thủ Đức, Hồ Chí Minh
-
sốc, còn 1 lô hẻm 20 bình chiểu dt 73m2 xây 4 tầng, chỉ 3.7
3,7 tỷ 73m² Phường Bình Chiểu, Thủ Đức, Hồ Chí Minh