Tin đăng này đã hết hạn trên sosanhnha.com
Bạn có thể sử dụng công cụ tìm kiếm trên website để tìm những tin đăng mới nhất.
hoặc xem chi tiết tin
Có thể bạn quan tâm
Bán đất
Lô Góc 2 Mặt Tiền Ngang 8m, Gần Tthc Dĩ An. Dt 96m2 Giá 3.5 Tỷ Có Tl Lh
3,5 tỷ
96m²
Đặc điểm
Mã tin
34138950
Cập nhật
01/12/2025
Loại tin
Bán đất
Mức giá
3,5 tỷ
Diện tích
96m²
Địa chỉ
Phường Dĩ An, Dĩ An, Bình Dương
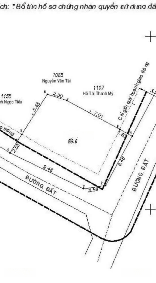
Bán lô góc 2 MT cực đẹp tại Phường Dĩ An, Dĩ An, Bình Dương.
Gần trung tâm hành chính Dĩ An, vị trí sát đường Nguyễn An Ninh.
Diện tích: 96m² (8 x 12m).
Tiện xây nhà ở, kinh doanh hoặc đầu tư giữ tiền.
Giá: 3.5 tỷ (thương lượng).
Liên hệ:
Hình ảnh
Gần trung tâm hành chính Dĩ An, vị trí sát đường Nguyễn An Ninh.
Diện tích: 96m² (8 x 12m).
Tiện xây nhà ở, kinh doanh hoặc đầu tư giữ tiền.
Giá: 3.5 tỷ (thương lượng).
Liên hệ:
Đặc điểm nổi bật
Diện tích :
96m2
Mặt tiền :
8m
Giá :
3,5 tỷ
Có thể bạn quan tâm
-
bán đất 4.98x31.2m, mặt tiền kd đường n2 kdc sóng thần b, p. dĩ an, kế vincom 550
7,4 tỷ 143m² Đường N2, Phường Dĩ An, Thành phố Dĩ An, Bình Dương
-
chủ ngộp bank, bán đất mặt tiền lý thường kiệt, ngang 10m full thổ cư, gần tthc dĩ an chỉ hơn 17tỷ
17,5 tỷ 262m² Phố Lý Thường Kiệt, Phường Dĩ An, Dĩ An, Bình Dương
-
hàng hiếm mt ngô văn sở dĩ an | sát nguyễn tri phương | kd vip | 120m | 5 tỷ xxx tl
l
5,45 tỷ 120m² Đường Nguyễn Thái Học, Phường Dĩ An, Dĩ An, Bình Dương
-
đất kinh doanh siêu vip trục chính đường số 9 khu hành chính dĩ an tp hcm
12 tỷ 125m² Phường Dĩ An, Dĩ An, Bình Dương
-
62tr/m2 giá chấn động mt vip đất đường nguyễn an ninh, dĩ an; dt 193m2 ngang 6.5m
11,97 tỷ 193m² Đường Nguyễn An Ninh, Phường Dĩ An, Dĩ An, Bình Dương
-
lô đất đẹp hẻm nguyễn trung trực, gần chợ dĩ an. dt: 233.2m2 (9x26m). gần ful 100%. giá: 9.5 tỷ tl
9,5 tỷ 233.2m² Đường Nguyễn Trung Trực, Phường Dĩ An, Dĩ An, Bình Dương