Tin đăng này đã hết hạn trên sosanhnha.com
Bạn có thể sử dụng công cụ tìm kiếm trên website để tìm những tin đăng mới nhất.
hoặc xem chi tiết tin
Có thể bạn quan tâm
Bán đất
Lô Góc 2 Mặt Tiền, Trục Chính Lộ Giới 20m Kdc Kiều đàm, Ngay Chân Cầu Thông Qua Kdc Him Lam Quận 7
150 tỷ
733m²
Đặc điểm
Mã tin
33244739
Cập nhật
08/08
Loại tin
Bán đất
Mức giá
150 tỷ
Diện tích
733m²
Địa chỉ
Đường Kiều Đàm, Phường Tân Hưng, Quận 7, Hồ Chí Minh
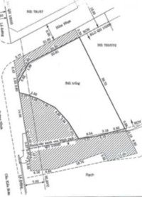
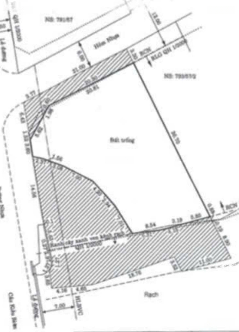
Bán lô đất góc 2 mặt tiền, trục chính KDC Kiều Đàm, ngay chân cầu nối qua KDC Him Lam
- Địa chỉ 793/57 Trần Xuân Soạn, phường Tân Hưng, TPHCM
- Lộ giới đường 20m, lề đường rộng rãi
- Diện tích đất công nhận 733m2 (bao gồm 2 sổ: 388m2 và 345m2)
- Quy chuẩn xây dựng: hầm, trệt 5 lầu
- Diện tích đất thực tế 1386m2
- Mặt tiền đường 36m, hướng Tây Nam
- Giá bán 150 tỷ thương lượng (đơn giá 204 triệu/m2 đất)
- Liên hệ Phú Quí nhà đất Phú Mỹ Hưng - nhà đất Quận 7)
Hình ảnh
- Địa chỉ 793/57 Trần Xuân Soạn, phường Tân Hưng, TPHCM
- Lộ giới đường 20m, lề đường rộng rãi
- Diện tích đất công nhận 733m2 (bao gồm 2 sổ: 388m2 và 345m2)
- Quy chuẩn xây dựng: hầm, trệt 5 lầu
- Diện tích đất thực tế 1386m2
- Mặt tiền đường 36m, hướng Tây Nam
- Giá bán 150 tỷ thương lượng (đơn giá 204 triệu/m2 đất)
- Liên hệ Phú Quí nhà đất Phú Mỹ Hưng - nhà đất Quận 7)
Đặc điểm nổi bật
Diện tích :
733m2
Mặt tiền :
36m
Giá :
150 tỷ
Đường vào :
20m
Có thể bạn quan tâm
-
Đất góc 2 MT Đường 793 Kiều Đàm Quận 7. DT 20x22m CN 437m2
80 tỷ 437m² góc 2 mặt tiền đường 793 khu kiều đàm phường tân hưng Q7
-
bán đất 2 lô đất hxh 1014 trần xuân soạn p. tân hưng tp. hcm. ngang 10x18m khu vực xây cao tầng
20,5 tỷ 180m² Hẻm 1014, Phố Trần Xuân Soạn, Phường Tân Hưng, Quận 7, Hồ Chí Minh
-
bán đất sổ đỏ bên hông cầu him lam, p. tân hưng q7
12 tỷ 55.6m² Đường Nguyễn Thị Thập, Phường Tân Hưng, Quận 7, Hồ Chí Minh
-
đất xây chdv, đường nhựa 8m, gần chợ, 10.5m x 18m, sát khu him lam, cách q1 chỉ 1 cây cầu
20,5 tỷ 180m² Phố Trần Xuân Soạn, Phường Tân Hưng, Quận 7, Hồ Chí Minh
-
vip - góc 440m² full thổ 2 mặt tiền kdc kiều đàm q7 giá 80 tỷ (tl)
80 tỷ 440m² Phố Trần Xuân Soạn, Phường Tân Hưng, Quận 7, Hồ Chí Minh
-
lô đất xây chdv, kdc himlam đường nguyễn thị thập, p. tân hưng, quận 7, tp. hcm
13 tỷ 57m² Đường Nguyễn Thị Thập, Phường Tân Hưng, Quận 7, Hồ Chí Minh