Tin đăng này đã hết hạn trên sosanhnha.com
Bạn có thể sử dụng công cụ tìm kiếm trên website để tìm những tin đăng mới nhất.
hoặc xem chi tiết tin
Có thể bạn quan tâm
Bán đất
Lô Góc 59.18m2 Ngang 4.83m Mặt Ngõ 212 đà Nẵng - Thêm 22m2 Lưu Không - Cách Mặt đường 50m
3,5 tỷ
59.18m²
Đặc điểm
Mã tin
34201971
Cập nhật
11/12/2025
Loại tin
Bán đất
Mức giá
3,5 tỷ
Diện tích
59.18m²
Địa chỉ
Ngõ 212, Phố Đà Nẵng, Phường Lạc Viên, Ngô Quyền, Hải Phòng
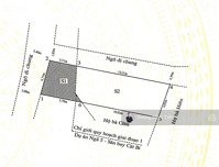
- Lô góc mặt ngõ 212 Đà Nẵng.
- Diện tích trên bìa: 59.18m2 ngang 4.83m.
- Có thêm 22m2 lưu không làm sân cổng.
- Vị trí nằm trên mặt ngõ rộng 3.5m, cách mặt đường Đà Nẵng đúng 50m.
- Giá: 3.5 tỷ thoả thuận.
- Dương Minh Tiến chuyên phân phối bất động sản Lê Hồng Phong, Hải An, Ngô Quyền.
Hình ảnh
- Diện tích trên bìa: 59.18m2 ngang 4.83m.
- Có thêm 22m2 lưu không làm sân cổng.
- Vị trí nằm trên mặt ngõ rộng 3.5m, cách mặt đường Đà Nẵng đúng 50m.
- Giá: 3.5 tỷ thoả thuận.
- Dương Minh Tiến chuyên phân phối bất động sản Lê Hồng Phong, Hải An, Ngô Quyền.
Đặc điểm nổi bật
Diện tích :
59.18m2
Mặt tiền :
4.83m
Giá :
3,5 tỷ
Đường vào :
3.5m
Có thể bạn quan tâm
-
bán đất mặt đường lê hồng phong - hải phòng - vị trí đẹp - dt hơn 500m2 - xây cao tầng
135 tỷ 500m² Đường Lê Hồng Phong, Phường Lạc Viên, Ngô Quyền, Hải Phòng
-
bán đất tđc kho 3 lạc viên, ngô quyền, hải phòng giá siêu hời
7,3 tỷ 56m² Phường Lạc Viên, Ngô Quyền, Hải Phòng
-
bán gấp đất nền hàng hiếm tại lê hồng phong, 13,125 tỷ, 105m2
13,13 tỷ 105m² Đường Lê Hồng Phong, Phường Lạc Viên, Ngô Quyền, Hải Phòng
-
lô đất 48m tdc 226 lê lai hướng nam giá đầu tư
4,9 tỷ 48m² Đường Lê Lai, Phường Lạc Viên, Ngô Quyền, Hải Phòng
-
lô 48m đường 13m tđc 226 lê lai
5,81 tỷ 48m² Đường Lê Lai, Phường Lạc Viên, Ngô Quyền, Hải Phòng
-
lô 69m đường 25m tđc 226 lê lai
8,97 tỷ 69m² Đường Lê Lai, Phường Lạc Viên, Ngô Quyền, Hải Phòng