Tin đăng này đã hết hạn trên sosanhnha.com
Bạn có thể sử dụng công cụ tìm kiếm trên website để tìm những tin đăng mới nhất.
hoặc xem chi tiết tin
Có thể bạn quan tâm
Bán đất
Lô Qh Nhà ở Sân Vườn Và Biệt Thự Hướng Biển P.bãi Cháy -tp.hạ Long (8mx22m Giá:65,5 Triệu/1m2
11,53 tỷ
176m²
Đặc điểm
Mã tin
34032903
Cập nhật
18/11/2025
Loại tin
Bán đất
Mức giá
11,53 tỷ
Diện tích
176m²
Địa chỉ
Đường Hoàng Quốc Việt, Phường Bãi Cháy, Hạ Long, Quảng Ninh
Cần bán lô đất khu Quy hoạch nhà ở liền kề sân vườn và Biệt thự hướng biển thuộc phường Bãi cháy -Hạ Long -Quảng Ninh.
Vị trí nằm ở Bán đảo 3 Bãi cháy gần biển, gần chợ đêm Hạ Long,đối diện khu Biệt thự liền kề 4 tầng cao cấp Grand Villas.Ra biển đi bộ chỉ 150m.
Đường nhựa 20m, vỉa hè cây xanh,hoa cảnh bốn mùa,xung quanh vô vàn khách sạn cao tầng, nhà hàng tiệc cưới,,,
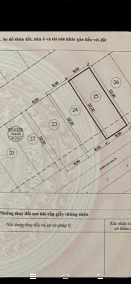
Diện tích: 8mx22m=176m2 (Toàn bộ là đất ở đô thị)
Đất vuông vức bằng phẳng
Đất đã có sổ hồng riêng cấp từ năm 2016 chưa qua đầu tư.
Giá:65,5Tr/1m2(Thương lượng nhẹ cho khách hiện chí)
Hình ảnh
Vị trí nằm ở Bán đảo 3 Bãi cháy gần biển, gần chợ đêm Hạ Long,đối diện khu Biệt thự liền kề 4 tầng cao cấp Grand Villas.Ra biển đi bộ chỉ 150m.
Đường nhựa 20m, vỉa hè cây xanh,hoa cảnh bốn mùa,xung quanh vô vàn khách sạn cao tầng, nhà hàng tiệc cưới,,,
Diện tích: 8mx22m=176m2 (Toàn bộ là đất ở đô thị)
Đất vuông vức bằng phẳng
Đất đã có sổ hồng riêng cấp từ năm 2016 chưa qua đầu tư.
Giá:65,5Tr/1m2(Thương lượng nhẹ cho khách hiện chí)
Đặc điểm nổi bật
Diện tích :
176m2
Mặt tiền :
8m
Giá :
11,53 tỷ
Đường vào :
20m
Có thể bạn quan tâm
-
ful giá 1,8tỷ/căn studio suncentro town hạ long. dòng tiền 30tr/tháng
1,8 tỷ 31.5m² Đường Kỳ Quan, Phường Bãi Cháy, Thành phố Hạ Long, Quảng Ninh
-
suncentro hạ long bán 2 căn ngoại giao ck 16% trực diện biển, full nội thất, cam kết tiền cho thuê
Liên hệ 34m² 1 Sun Centro Town, Phường Bãi Cháy, Thành phố Hạ Long, Quảng Ninh
-
sun centro town căn studio tầng cao rẻ nhất dự án
1,9 tỷ 31.5m² 1 Sun Centro Town, Phường Bãi Cháy, Thành phố Hạ Long, Quảng Ninh
-
người thật giá thật, giỏ hàng chuyển nhượng đa dạng icon 40 hl, liên hệ em để cập nhật giỏ hàng
1,85 tỷ 33m² Dự án Icon 40 đường Hoàng Quốc Việt phường Bãi Cháy tỉnh Quảng Ninh, ICON40 Hạ Long , Đường Hoàng Quốc Việt, Phường Bãi Cháy, Thành phố Hạ Long, Quảng Ninh
-
đất rộng đường hậu cần bãi cháy hợp xây nhà vườn view biển hoặc cho thêu dòng tiền
8,2 tỷ 412m² Đường Hậu Cần, Phường Bãi Cháy, Thành phố Hạ Long, Quảng Ninh
-
đất hùng thắng đường ec view cao xây biệt thự sân vườn giá đầu tư
120 triệu/m² 538m² Đường EC, Phường Bãi Cháy, Thành phố Hạ Long, Quảng Ninh