Tin đăng này đã hết hạn trên sosanhnha.com
Bạn có thể sử dụng công cụ tìm kiếm trên website để tìm những tin đăng mới nhất.
hoặc xem chi tiết tin
Có thể bạn quan tâm
Bán đất
Mặt Tiền Lê Hồng Phong Nối Dài, Gần Bệnh Viện 1500 Giường. Giá Rẻ.
4,8 tỷ
100m²
Đặc điểm
Mã tin
33430502
Cập nhật
30/08/2025
Loại tin
Bán đất
Mức giá
4,8 tỷ
Diện tích
100m²
Địa chỉ
Đường Lê Hồng Phong, Phường Định Hòa, Thủ Dầu Một, Bình Dương
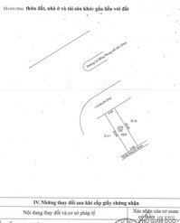
MT Lê Hồng Phong Nối Dài
Gần Bệnh viện 1500 Giường (năm 2025 hoạt động)
DT: 5 x 20. Tc 100%
Giá: 4,8 ty.
;
Hình ảnh
Gần Bệnh viện 1500 Giường (năm 2025 hoạt động)
DT: 5 x 20. Tc 100%
Giá: 4,8 ty.
;
Đặc điểm nổi bật
Diện tích :
100m2
Giá :
4,8 tỷ
Có thể bạn quan tâm
-
lô góc xây nhà mái thái trổ cửa siêu thoáng mát vị trí trường chợ vài trăm mét. tp mới 5 phúc đi xe
2,4 tỷ 124.8m² Phường Định Hòa, Thành phố Thủ Dầu Một, Bình Dương
-
hàng phân tách gần 1000m2 ngay trường học định hoà thủ dầu một đi aeon mall thành phố mới 5p
10 tỷ 915m² Đường DX 070, Phường Định Hòa, Thành phố Thủ Dầu Một, Bình Dương
-
gấp gấp bán trước tết lô liền kề tdc thanh lễ, ngay công an, bệnh viện 1500 giường chỉ 3 tỷ 2
3,2 tỷ 100m² Phường Định Hòa, Thủ Dầu Một, Bình Dương
-
đất dx070 định hoà, dt 5x20(65tc) giá 2tỷ5
2,5 tỷ 100m² Đường DX 070, Phường Định Hòa, Thủ Dầu Một, Bình Dương
-
lô góc 2 mặt tiền đường dx071 phường định hoà, phù hợp làm văn phòng, xây nhà vườn biệt thự
3,2 tỷ 146m² Đường DX 071, Phường Định Hòa, Thủ Dầu Một, Bình Dương
-
đất định hoà mặt tiền bê tông dx072 diện tích 10 x 30 thổ cư 60m,giá 3ty650 triệu
3,65 tỷ 296.7m² Đường DX 072, Phường Định Hòa, Thủ Dầu Một, Bình Dương