Tin đăng này đã hết hạn trên sosanhnha.com
Bạn có thể sử dụng công cụ tìm kiếm trên website để tìm những tin đăng mới nhất.
hoặc xem chi tiết tin
Có thể bạn quan tâm
Bán đất
Mua 1 được 1 Cần Bán đất Hẻm 75 An Phú đông 9 Diện Tích 4.18 X 55m
6,55 tỷ
220m²
Đặc điểm
Mã tin
34431111
Cập nhật
13/01
Loại tin
Bán đất
Mức giá
6,55 tỷ
Diện tích
220m²
Địa chỉ
Hẻm 75, Đường An Phú Đông 9, Phường An Phú Đông, Quận 12, Hồ Chí Minh
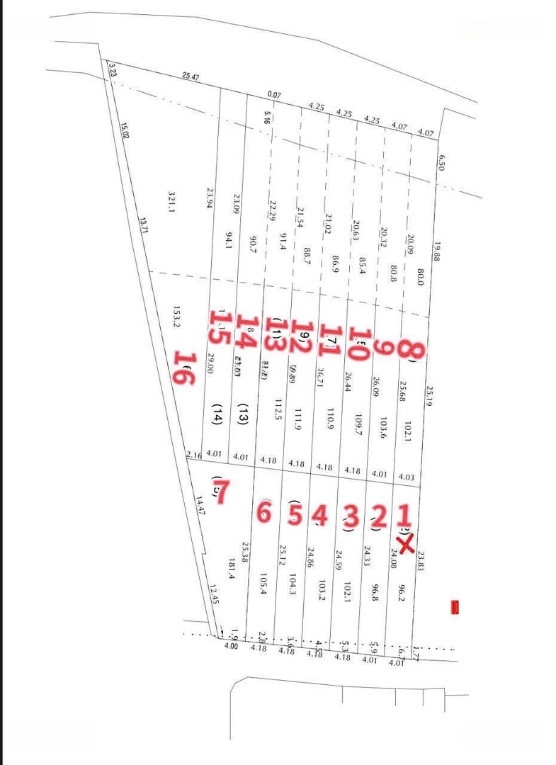
Diện tích 220m2 - giá tốt 6,55 tỷ.
Bán đất Rạch hẻm 75 đường An Phú Đông 9, phường An Phú Đông TPHCM.
- 4.18 x 55m - giá 6,55 tỷ thổ cư 108m2.
- 8.36 x 55m - giá 13.1 tỷ.
- Đường 6m, hướng Tây, có 2 lô liền kề.
- Còn 10, 11,12,13,14,15.
Tộ.
Hình ảnh
Bán đất Rạch hẻm 75 đường An Phú Đông 9, phường An Phú Đông TPHCM.
- 4.18 x 55m - giá 6,55 tỷ thổ cư 108m2.
- 8.36 x 55m - giá 13.1 tỷ.
- Đường 6m, hướng Tây, có 2 lô liền kề.
- Còn 10, 11,12,13,14,15.
Tộ.
Đặc điểm nổi bật
Diện tích :
220m2
Mặt tiền :
4.18m
Giá :
6,55 tỷ
Đường vào :
6m
Có thể bạn quan tâm
-
bán đất giáp đường an phú đông 25, phường an phú đông,q12 - sổ vuông nở hậu cực đẹp đường 10m
5,5 tỷ 108m² Phường An Phú Đông, Quận 12, Hồ Chí Minh
-
bán đất hẻm 140/27 vuon lài thông ra sông vàm thuật giá rẻ 5x31
11 tỷ 155.5m² Đường Vườn Lài, Phường An Phú Đông, Quận 12, Hồ Chí Minh
-
bán đất đường vườn lài, an phú đông, q.12 - ngang 6m - xe tải tận cửa
4,55 tỷ 54m² Đường Vườn Lài, Phường An Phú Đông, Quận 12, Hồ Chí Minh
-
đất mặt tiền kênh an phú đông 10 91,5m2 4tỷ35
4,35 tỷ 91.5m² Đường An Phú Đông 10, Phường An Phú Đông, Quận 12, Hồ Chí Minh
-
bán đất mặt tiền sông sài gòn đường vườn lài an phú đông. chỉ 32 tỷ
32 tỷ 484m² Đường Vườn Lài, Phường An Phú Đông, Quận 12, Hồ Chí Minh
-
bán đất hẻm hẻm 94 giá chỉ 64tr/m2 thổ cư, xây được 5 tầng
6,4 tỷ 100.2m² Đường Vườn Lài, Phường An Phú Đông, Quận 12, Hồ Chí Minh