NC : Bán Nền Góc đẹp 80.9m² đường B4 & B10 KDC Phú An, P. Phú Thứ, Cái Răng, Cần Thơ.
3 tỷ
81m²
Đặc điểm
Mã tin
33926328
Cập nhật
03/11
Loại tin
Bán đất nền dự án
Mức giá
3 tỷ
Diện tích
81m²
Địa chỉ
KDC PHÚ AN - PHÚ THỨ - CÁI RĂNG - CẦN THƠ,Phường Phú Thứ, Quận Cái Răng, Cần Thơ
NC :
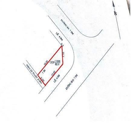
Bán nền góc đẹp 80.9m² đường B4 & B10 KDC Phú An, P. Phú Thứ, Cái Răng, Cần Thơ.
Vị trí nền góc sáng, đường song trục chính A2, khu vực đông dân rất thuận tiện kinh doanh mua bán,...
Nền có sẵn dàn móng 1 trệt 1 lầu gần 200 trđ
Diện tích: 5.2 x 18m = 80.9m², vạt góc.
Lộ giới: 16m.
Hướng: Đông Bắc & Đông nam.
Pháp lý: Sổ hồng thổ cư 100%.
Giá bán: 3 tỷ thương lượng
LH : 0949946604 QUÝ - 0942495498 Phương
Nhận mua bán kí gửi nhà đất Cần Thơ.
Hình ảnh
Bán nền góc đẹp 80.9m² đường B4 & B10 KDC Phú An, P. Phú Thứ, Cái Răng, Cần Thơ.
Vị trí nền góc sáng, đường song trục chính A2, khu vực đông dân rất thuận tiện kinh doanh mua bán,...
Nền có sẵn dàn móng 1 trệt 1 lầu gần 200 trđ
Diện tích: 5.2 x 18m = 80.9m², vạt góc.
Lộ giới: 16m.
Hướng: Đông Bắc & Đông nam.
Pháp lý: Sổ hồng thổ cư 100%.
Giá bán: 3 tỷ thương lượng
LH : 0949946604 QUÝ - 0942495498 Phương
Nhận mua bán kí gửi nhà đất Cần Thơ.
Có thể bạn quan tâm
-
Bán nhiều nền đẹp khu dân cư Phú An - Đường Võ Nguyên Giáp
1,95 tỷ 62m² Khu Dân Cư Phú An
-
cg. bán nền trục chính kdc phú an - 100m2 - h. tây bắc - lộ giới 30m - sổ hồng - 3,7 tỷ
3,7 tỷ 100m² Dự án KDC Phú An, Đường A2, Phường Phú Thứ, Cái Răng, Cần Thơ
-
Nền mặt tiền đường Phan Trọng Tuệ - Trục chính khu dân cư Diệu Hiền
3,55 tỷ 103m² KDC Diệu Hiền
-
bán đất đường b3 kdc phú an gần bv hoàn mỹ, chợ 586 4.5m x 17.5 giá 2.49 tỷ
2,49 tỷ 79m² KDC Phú An, Đường B3, Phường Phú Thứ, Cái Răng, Cần Thơ
-
bán nền đẹp không vướng cống tụ đường b6 kdc phú an
2,35 tỷ 81m² KDC Phú An, Đường B6, Phường Phú Thứ, Cái Răng, Cần Thơ
-
giảm 100tr bán nền giá tốt nhất phú an
2,29 tỷ 81m² Dự án KDC Phú An, Đường Số 2, Phường Phú Thứ, Cái Răng, Cần Thơ