NC : Bán Nền Góc đẹp 80.9m² đường B4 & B10 KDC Phú An, P. Phú Thứ, Cái Răng, Cần Thơ.
3 tỷ
81m²
Đặc điểm
Mã tin
34532516
Cập nhật
1 giờ trước
Loại tin
Bán đất nền dự án
Mức giá
3 tỷ
Diện tích
81m²
Địa chỉ
KDC PHÚ AN - P. HƯNG PHÚ - CẦN THƠ,Phường Hưng Phú, Quận Cái Răng, Cần Thơ
NC :
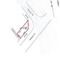
Bán nền góc đẹp 80.9m² đường B4 & B10 KDC Phú An, P. Phú Thứ, Cái Răng, Cần Thơ.
- Vị trí nền góc sáng, đường song trục chính A2, khu vực đông dân rất thuận tiện kinh doanh mua bán,...
Nền có sẵn dàn móng 1 trệt 1 lầu gần 200 trđ
- Diện tích: 5.2 x 18m = 80.9m², vạt góc.
- Lộ giới: 16m.
- Hướng: Đông Bắc & Đông nam.
- Pháp lý: Sổ hồng thổ cư 100%.
- Giá báN: 3 tỷ
LH 0942495498 Phương
Nhận mua bán kí gửi nhà đất Cần Thơ.
Hình ảnh
Bán nền góc đẹp 80.9m² đường B4 & B10 KDC Phú An, P. Phú Thứ, Cái Răng, Cần Thơ.
- Vị trí nền góc sáng, đường song trục chính A2, khu vực đông dân rất thuận tiện kinh doanh mua bán,...
Nền có sẵn dàn móng 1 trệt 1 lầu gần 200 trđ
- Diện tích: 5.2 x 18m = 80.9m², vạt góc.
- Lộ giới: 16m.
- Hướng: Đông Bắc & Đông nam.
- Pháp lý: Sổ hồng thổ cư 100%.
- Giá báN: 3 tỷ
LH 0942495498 Phương
Nhận mua bán kí gửi nhà đất Cần Thơ.
Có thể bạn quan tâm
-
BÁN NỀN CẶP 25 + 27 C6 KDC PHÚ AN, P. HƯNG PHÚ, CẦN THƠ.
4,6 tỷ 162m² KDC PHÚ AN - P. HƯNG PHÚ - CẦN THƠ
-
BÁN NHANH NỀN ĐƯỜNG BÙI QUANG TRINH KDC PHÚ AN, PHƯỜNG HƯNG PHÚ, TP CẦN THƠ
3,6 tỷ 100m² KDC PHÚ AN - P. HƯNG PHÚ - CẦN THƠ
-
BÁN GÓC 100M2 ĐƯỜNG B1 VÀ C9 KHU DÂN CƯ PHÚ AN - NỀN GẦN LỘ VÕ NGUYÊN GIÁP.
4 tỷ 100m² KDC PHÚ AN - P. HƯNG PHÚ - CẦN THƠ
-
BÁN NỀN ĐƯỜNG TRẦN VĂN SẮC_ KDC NÔNG THỔ SẢN_ TRỤC THÔNG VÕ NGUYÊN GIÁP.
2,5 tỷ 78m² KDC NÔNG THỔ SẢN - P.HƯNG PHÚ - CẦN THƠ
-
BÁN CẶP NỀN GÓC KHU TÂN PHÚ, P. HƯNG PHÚ, CẦN THƠ.
5 tỷ 227m² KDC TÂN PHÚ - P. HƯNG PHÚ - CẦN THƠ
-
BÁN NỀN 11B6 KDC PHÚ AN, P. HƯNG PHÚ, CẦN THƠ.
2,27 tỷ 90m² KDC PHÚ AN - P. HƯNG PHÚ - CẦN THƠ