NC : Bán Nền Góc đẹp 80.9m² đường B4 & B10 KDC Phú An, P. Phú Thứ, Cái Răng, Cần Thơ.
3 tỷ
81m²
Đặc điểm
Mã tin
33920993
Cập nhật
02/11
Loại tin
Bán đất nền dự án
Mức giá
3 tỷ
Diện tích
81m²
Địa chỉ
KDC PHÚ AN - PHÚ THỨ - CÁI RĂNG - CẦN THƠ,Phường Phú Thứ, Quận Cái Răng, Cần Thơ
NC :
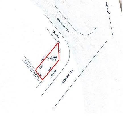
Bán nền góc đẹp 80.9m² đường B4 & B10 KDC Phú An, P. Phú Thứ, Cái Răng, Cần Thơ.
- Vị trí nền góc sáng, đường song trục chính A2, khu vực đông dân rất thuận tiện kinh doanh mua bán,...
Nền có sẵn dàn móng 1 trệt 1 lầu gần 200 trđ
- Diện tích: 5.2 x 18m = 80.9m², vạt góc.
- Lộ giới: 16m.
- Hướng: Đông Bắc & Đông nam.
- Pháp lý: Sổ hồng thổ cư 100%.
- Giá bán: 3 tỷ thương lượng
LH : 0949946604 QUÝ - 0942495498 Phương
Nhận mua bán kí gửi nhà đất Cần Thơ.
Hình ảnh
Bán nền góc đẹp 80.9m² đường B4 & B10 KDC Phú An, P. Phú Thứ, Cái Răng, Cần Thơ.
- Vị trí nền góc sáng, đường song trục chính A2, khu vực đông dân rất thuận tiện kinh doanh mua bán,...
Nền có sẵn dàn móng 1 trệt 1 lầu gần 200 trđ
- Diện tích: 5.2 x 18m = 80.9m², vạt góc.
- Lộ giới: 16m.
- Hướng: Đông Bắc & Đông nam.
- Pháp lý: Sổ hồng thổ cư 100%.
- Giá bán: 3 tỷ thương lượng
LH : 0949946604 QUÝ - 0942495498 Phương
Nhận mua bán kí gửi nhà đất Cần Thơ.
Có thể bạn quan tâm
-
Bán nhiều nền đẹp khu dân cư Phú An - Đường Võ Nguyên Giáp
1,95 tỷ 62m² Khu Dân Cư Phú An
-
cg. bán nền trục chính kdc phú an - 100m2 - h. tây bắc - lộ giới 30m - sổ hồng - 3,7 tỷ
3,7 tỷ 100m² Dự án KDC Phú An, Đường A2, Phường Phú Thứ, Cái Răng, Cần Thơ
-
Nền mặt tiền đường Phan Trọng Tuệ - Trục chính khu dân cư Diệu Hiền
3,55 tỷ 103m² KDC Diệu Hiền
-
bán đất đường b3 kdc phú an gần bv hoàn mỹ, chợ 586 4.5m x 17.5 giá 2.49 tỷ
2,49 tỷ 79m² KDC Phú An, Đường B3, Phường Phú Thứ, Cái Răng, Cần Thơ
-
bán nền đẹp không vướng cống tụ đường b6 kdc phú an
2,35 tỷ 81m² KDC Phú An, Đường B6, Phường Phú Thứ, Cái Răng, Cần Thơ
-
giảm 100tr bán nền giá tốt nhất phú an
2,29 tỷ 81m² Dự án KDC Phú An, Đường Số 2, Phường Phú Thứ, Cái Răng, Cần Thơ