Nền Góc 2 Mặt Tiền đường Phạm Hữu Lầu Và Hẻm 235 đồng Văn Cống, Giá Tốt.
4,1 tỷ
80m²
Đặc điểm
Mã tin
33309199
Cập nhật
15/08/2025
Loại tin
Bán đất
Mức giá
4,1 tỷ
Diện tích
80m²
Địa chỉ
phạm hữu lầu,Phường An Thới, Quận Bình Thủy, Cần Thơ
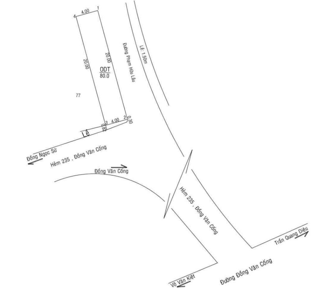
Bán nền góc 22 mặt tiền đường phạm hữu lầu và hẻm 235 đồng văn cống, an thới, bình thủy cần thơ.
Diện tích ngang 20m xâu vô 4m tổng diện tích 80m2,
Pháp lý thổ cư, cấp giấy phép xây dựng chính.
Giá bán 4 tỷ 100 triệu
Liên hệ ngay : 0829676035– 0562898643 Mr. Khang,(NC) hỗ trợ anh/chị tư vấn xem nhà trực tiếp. Uy tính chất lượng trên từng sản phẩm.
Mail: trankhang300ct@gmail.com
Nhận ký gửi nhà đất, cho thuê nhà mặt tiền, kho diện tích lớn, văn phòng đủ diện tích lớn tại cần thơ
Hình ảnh
Diện tích ngang 20m xâu vô 4m tổng diện tích 80m2,
Pháp lý thổ cư, cấp giấy phép xây dựng chính.
Giá bán 4 tỷ 100 triệu
Liên hệ ngay : 0829676035– 0562898643 Mr. Khang,(NC) hỗ trợ anh/chị tư vấn xem nhà trực tiếp. Uy tính chất lượng trên từng sản phẩm.
Mail: trankhang300ct@gmail.com
Nhận ký gửi nhà đất, cho thuê nhà mặt tiền, kho diện tích lớn, văn phòng đủ diện tích lớn tại cần thơ
Có thể bạn quan tâm
-
bán đất mặt tiền đường lê phước thọ cạnh siêu thị aeon mall, diện tích: 26,5m x 93m giá rẻ nhất khu
33,22 tỷ 2461m² Đường Lê Phước Thọ, Phường An Thới, Quận Bình Thủy, Cần Thơ
-
bán nền mặt tiền đường lê văn sô phường an thới bình thủy, tp cần thơ
242,49 tỷ 95m² mặt tiền đường lê văn sô
-
bán đất nền thổ cư mặt tiền đường huỳnh phan hộ bình thủy, 1 tỷ 890 triệu
1,89 tỷ 40m² huỳnh phan hộ bình thủy, cần thơ
-
bán đất thổ cư hẻm xe hơi 7 chỗ đường cách mạng tháng tám (đoạn gần cầu bình thủy)
1,15 tỷ 52m² Đường Cách Mạng Tháng Tám, Phường An Thới, Bình Thủy, Cần Thơ
-
cần bán nền biệt thự 550 m2 - trung tâm tp cần thơ - tặng nhà kho cho thuê 24 triệu/t
14 tỷ 550m² Đường Lê Văn Bì, Phường An Thới, Bình Thủy, Cần Thơ
-
bán nền đẹp, đường lê văn bì gần trường học bùi hữu nghĩa, bình thủy, giá bán 4,35tỷ
4,35 tỷ 150m² lê văn bì