Nhà 5x14 Giá 5.3 Tỷ Hẻm Ba Gác 1000 Lê Văn Lương, ở Ngon Lành, Sổ Riêng
5,3 tỷ
71m²
Đặc điểm
Mã tin
34534528
Cập nhật
6 giờ trước
Loại tin
Bán nhà riêng
Mức giá
5,3 tỷ
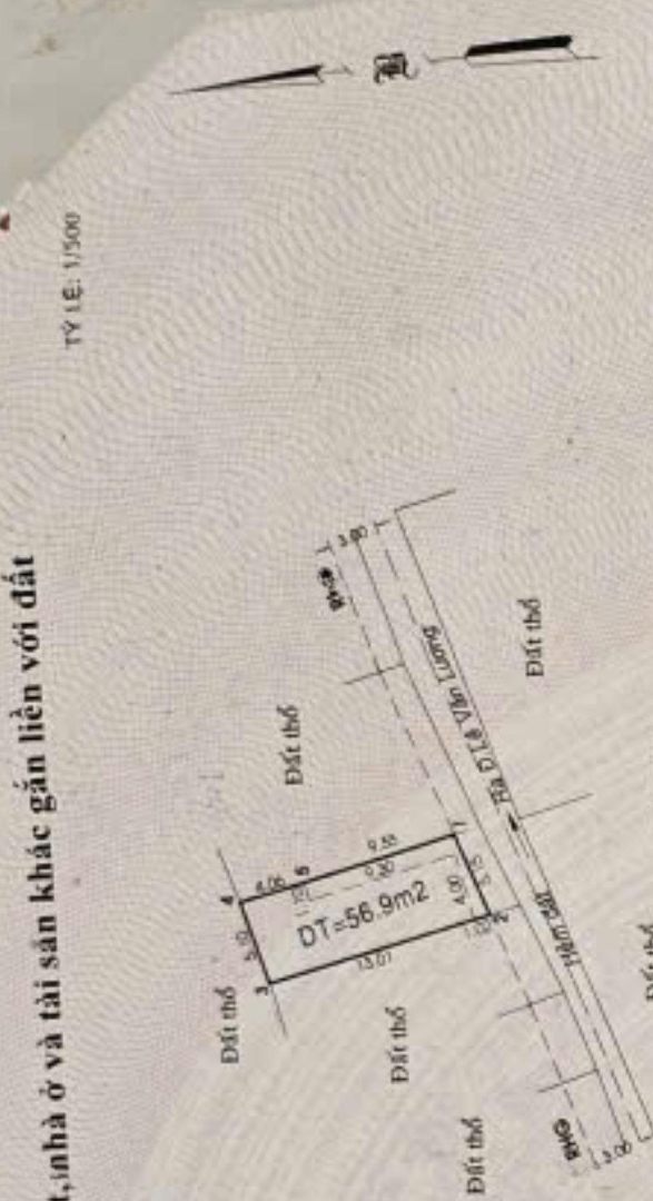
Diện tích
71m²
Phòng ngủ
1 phòng ngủ
Địa chỉ
Xã Phước Kiển, Nhà Bè, Hồ Chí Minh
Bán nhà hẻm 1000 Lê Văn Lương, Phước Kiển, đối diện PHỞ NGỌC
- DT: 5x14m
- Hướng Nam
- sổ hồng riêng
- Nhà cấp 4. Ở ngon lành
- Hẻm ba gác, cách Lê Văn Lương 30m
- Giá 5.3 tỷ
- Liên hệ em Vũ xem nhà và giấy tờ
Hình ảnh
- DT: 5x14m
- Hướng Nam
- sổ hồng riêng
- Nhà cấp 4. Ở ngon lành
- Hẻm ba gác, cách Lê Văn Lương 30m
- Giá 5.3 tỷ
- Liên hệ em Vũ xem nhà và giấy tờ
Đặc điểm nổi bật
Diện tích :
71m2
Giá :
5,3 tỷ
Số tầng :
1 tầng
Phòng ngủ :
1 phòng
Phòng tắm :
1 phòng
Đường vào :
3m
Có thể bạn quan tâm
-
bán nhà riêng tại lê văn lương, phước kiển, nhà bè, hcm, 5,9 tỷ, 175m2, giá tốt, chính chủ
5,9 tỷ 175m² 2 Đường Lê Văn Lương, Xã Phước Kiển, Nhà Bè, Hồ Chí Minh
-
bán nhà hẻm xe hơi 8m - 4 tầng 4pn - ngay cầu long kiểng - thuận tiện di chuyển
2,9 tỷ 40m² 4 Đường Lê Văn Lương, Xã Phước Kiển, Nhà Bè, Hồ Chí Minh
-
bán nhà kdc phước kiển a sổ riêng 4 tầng 5 x 20 mt đường 12m sát vách q7 phú mỹ hưng
12,8 tỷ 100m² 5 Đường Lê Văn Lương, Xã Phước Kiển, Huyện Nhà Bè, Hồ Chí Minh
-
bán nhà cấp 4, hẻm xe hơi, phạm hữu lầu, nhà bé. ngay câu phước long. giá 3ty6 sổ hồng riêng
3,6 tỷ 51m² 1 Xã Phước Kiển, Nhà Bè, Hồ Chí Minh
-
bán gấp nhà riêng 12,6 tỷ, đường 16m tại sadeco phước kiển, nhà bè, hcm hot!
12,6 tỷ 95m² 4 Dự án Sadeco Phước Kiển, Xã Phước Kiển, Nhà Bè, Hồ Chí Minh
-
nhà 3 lầu 127m2 giá 8 tỷ , ngang 5m xe hơi đậu trong nhà , full nội thất . lh em hưng
8 tỷ 127m² 3 Đường Lê Văn Lương, Xã Phước Kiển, Nhà Bè, Hồ Chí Minh