Tin đăng này đã hết hạn trên sosanhnha.com
Bạn có thể sử dụng công cụ tìm kiếm trên website để tìm những tin đăng mới nhất.
hoặc xem chi tiết tin
Có thể bạn quan tâm
Bán nhà mặt phố
Nhà Và đất Mặt Tiền đường Bến Nghé - Vị Trí Gần Vincom Huế
Liên hệ
450m²
Đặc điểm
Mã tin
33674339
Cập nhật
04/10/2025
Loại tin
Bán nhà mặt phố
Mức giá
Liên hệ
Diện tích
450m²
Phòng ngủ
2 phòng ngủ
Địa chỉ
Đường Bến Nghé, Phường Phú Hội, Huế, Thừa Thiên Huế
Nhà và đất mặt tiền đường bến nghé - vị trí vàng trung tâm Thành Phố Huế.
1. Thông tin chung.
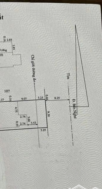
Vị trí: Bến Nghé, phường Phú Hội, thành phố Huế, tỉnh Thừa Thiên Huế. Đây là vị trí đắc địa, ngay trung tâm, gần các điểm du lịch và tiện ích công cộng.
Loại hình: Nhà ở riêng lẻ, sổ hồng chính chủ.
Pháp lý: Đã được công nhận quyền sử dụng đất đầy đủ.
2. Chi tiết lô đất và nhà.
Tổng diện tích đất: 433,8m (Bằng chữ: Bốn trăm ba mươi ba phẩy tám mét vuông).
Tổng diện tích sàn: 542m.
Diện tích xây dựng: 242,4m.
Mặt tiền:
Mặt tiền chính đường Bến Nghé rộng 22m.
Kết cấu: Nhà 2 tầng + tầng lửng có diện tích 228m, tầng 2 có diện tích 228m.
3. Ưu điểm nổi bật.
Vị trí đắc địa: Ngay trung tâm thành phố Huế, khu vực sầm uất, thuận tiện kinh doanh, mở văn phòng hoặc cho thuê.
Diện tích lớn: Lô đất rộng 433,8m rất hiếm có ở khu vực trung tâm, phù hợp để phát triển nhiều loại hình kinh doanh khác nhau hoặc xây dựng biệt thự.
Thế đất: Có hai mặt tiền đường, giúp việc kinh doanh hoặc phân chia lô đất trở nên linh hoạt hơn.
4. Giá bán và liên hệ.
Giá bán: Liên hệ trực tiếp để thương lượng giá tốt nhất.
Liên hệ: Zalo - Nhật Quang.
Hình ảnh
1. Thông tin chung.
Vị trí: Bến Nghé, phường Phú Hội, thành phố Huế, tỉnh Thừa Thiên Huế. Đây là vị trí đắc địa, ngay trung tâm, gần các điểm du lịch và tiện ích công cộng.
Loại hình: Nhà ở riêng lẻ, sổ hồng chính chủ.
Pháp lý: Đã được công nhận quyền sử dụng đất đầy đủ.
2. Chi tiết lô đất và nhà.
Tổng diện tích đất: 433,8m (Bằng chữ: Bốn trăm ba mươi ba phẩy tám mét vuông).
Tổng diện tích sàn: 542m.
Diện tích xây dựng: 242,4m.
Mặt tiền:
Mặt tiền chính đường Bến Nghé rộng 22m.
Kết cấu: Nhà 2 tầng + tầng lửng có diện tích 228m, tầng 2 có diện tích 228m.
3. Ưu điểm nổi bật.
Vị trí đắc địa: Ngay trung tâm thành phố Huế, khu vực sầm uất, thuận tiện kinh doanh, mở văn phòng hoặc cho thuê.
Diện tích lớn: Lô đất rộng 433,8m rất hiếm có ở khu vực trung tâm, phù hợp để phát triển nhiều loại hình kinh doanh khác nhau hoặc xây dựng biệt thự.
Thế đất: Có hai mặt tiền đường, giúp việc kinh doanh hoặc phân chia lô đất trở nên linh hoạt hơn.
4. Giá bán và liên hệ.
Giá bán: Liên hệ trực tiếp để thương lượng giá tốt nhất.
Liên hệ: Zalo - Nhật Quang.
Đặc điểm nổi bật
Diện tích :
450m2
Mặt tiền :
22m
Giá :
Giá thỏa thuận
Số tầng :
3 tầng
Phòng ngủ :
2 phòng
Phòng tắm :
2 phòng
Đường vào :
9.5m
Có thể bạn quan tâm
-
bán mặt tiền kinh doanh khu phố tây đường võ thị sáu, phường phú hội, tp.huế hàng khổ hiếm
59,36 tỷ 424m² 6 Đường Võ Thị Sáu, Phường Phú Hội, Huế, Thừa Thiên Huế
-
bán đất mặt tiền võ thị sáu, lô đất 424m2 làm việc trực tiếp với chính chủ, không trung gian
53 tỷ 424m² 73 Đường Võ Thị Sáu, Phường Phú Hội, Huế, Thừa Thiên Huế
-
mặt tiền phạm ngũ lão khu phố tây
44,22 tỷ 268m² 3 Đường Phạm Ngũ Lão, Phường Phú Hội, Huế, Thừa Thiên Huế
-
bán nhà mặt tiền trục kim cương ngã 3 trần quang khải & phó đức chính, ngã 6 vincom huế
24,64 tỷ 224m² 15 Đường Trần Quang Khải, Phường Phú Hội, Huế, Thừa Thiên Huế
-
nhà mặt phố hùng vương ngay chợ an cựu
32,55 tỷ 93m² 7 Đường Hùng Vương, Phường Phú Hội, Huế, Thừa Thiên Huế
-
bán nhà mặt tiền bà triệu ngang 6m giá chỉ 15,5 tỷ
15,5 tỷ 78m² Phố Bà Triệu, Phường Phú Hội, Huế, Thừa Thiên Huế