Tin đăng này đã hết hạn trên sosanhnha.com
Bạn có thể sử dụng công cụ tìm kiếm trên website để tìm những tin đăng mới nhất.
hoặc xem chi tiết tin
Có thể bạn quan tâm
Bán đất
Tôi Chủ - Bán Lô đất 2 Mặt Tiền Dt 118m2 (5.78x20) đường 6m, Ngay đại Học Ngân Hàng - Hoàng Diệu 2
12,8 tỷ
118m²
Đặc điểm
Mã tin
34194023
Cập nhật
10/12/2025
Loại tin
Bán đất
Mức giá
12,8 tỷ
Diện tích
118m²
Địa chỉ
Đường Hoàng Diệu 2, Phường Linh Chiểu, Thủ Đức, Hồ Chí Minh
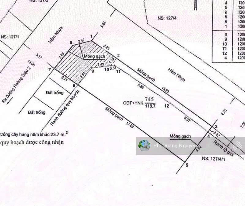
Chính chủ cần bán lô đất 2 mặt tiền sát đường Hoàng Diệu 2 - Thủ Đức !
DT 118m2 (5.78 x 20m ) công nhận đủ
Đường 6m trước đất , ô tô tránh nhau , vị trí đất ra Hoàng Diệu 2 chỉ 40m
TIỆN ÍCH : Khu vực sầm uất, bán kính 1km đổ lại có siêu thị , chợ , VinCom , Trường Đại Học Ngân Hàng - Trường Cao Đẳng Kinh Tế Kỷ Thuật
Thích hợp mua để xây ở hoặc đầu tư xây CHDV cho thuê dòng tiền cực tốt
Sổ hồng riêng , công chứng ngay , hổ trợ vay bank
GIá : 12 tỷ 790 ( Thương lượng chính chủ )
Liên hệ ngay xem sổ + đất :
Hình ảnh
DT 118m2 (5.78 x 20m ) công nhận đủ
Đường 6m trước đất , ô tô tránh nhau , vị trí đất ra Hoàng Diệu 2 chỉ 40m
TIỆN ÍCH : Khu vực sầm uất, bán kính 1km đổ lại có siêu thị , chợ , VinCom , Trường Đại Học Ngân Hàng - Trường Cao Đẳng Kinh Tế Kỷ Thuật
Thích hợp mua để xây ở hoặc đầu tư xây CHDV cho thuê dòng tiền cực tốt
Sổ hồng riêng , công chứng ngay , hổ trợ vay bank
GIá : 12 tỷ 790 ( Thương lượng chính chủ )
Liên hệ ngay xem sổ + đất :
Đặc điểm nổi bật
Diện tích :
118m2
Mặt tiền :
6m
Giá :
12,8 tỷ
Có thể bạn quan tâm
-
đất hoàng diệu 2 ngay đh ngân hàng, dt 147m2. đường 6m hiện hữu chỉ 8,x tỷ thích hợp ở hay làm chdv
8,2 tỷ 147m² Đường Hoàng Diệu 2, Phường Linh Chiểu, Thành phố Thủ Đức, Hồ Chí Minh
-
bán đất tặng nhà nát ngang 9.5m- hẻm thông xe hơi- cách hoàng diệu 2 chỉ 150m- không có căn so sánh
15 tỷ 200m² Đường Số 19, Phường Linh Chiểu, Thành phố Thủ Đức, Hồ Chí Minh
-
69tr/m2 bán đất tặng trọ ngay vincom thủ đức - nở hậu 10.5m-tiện xây chdv - hệ số xây lí tưởng
15,2 tỷ 218m² Đường Số 10, Phường Linh Chiểu, Thành phố Thủ Đức, Hồ Chí Minh
-
bán đất tặng nhà ngay vincom thủ đức 344m2 ngang 15.5m bề thế thích hợp xây chdv xe hơi vào tận cửa
24 tỷ 344m² Đường Số 10, Phường Linh Chiểu, Thành phố Thủ Đức, Hồ Chí Minh
-
xuất hiện hàng mới tinh, phường linh chiểu, gần võ văn ngân, thủ đức 11 tỷ 900 triệu
11,9 tỷ 160m² Đường Số 10, Phường Linh Chiểu, Thành phố Thủ Đức, Hồ Chí Minh
-
bán lô đất 350m2- ngang lớn 13m- ngay đại học ngân hàng- linh chiểu- 63tr/m2
22 tỷ 350m² Phường Linh Chiểu, Thành phố Thủ Đức, Hồ Chí Minh