Tin đăng này đã hết hạn trên sosanhnha.com
Bạn có thể sử dụng công cụ tìm kiếm trên website để tìm những tin đăng mới nhất.
hoặc xem chi tiết tin
Có thể bạn quan tâm
Bán đất nền dự án
Bán đất Dự án đường đông Tây Thành Phố Tam điệp, 102m Giá 2.3 Tỷ. Lh E Hường
2,3 tỷ
102m²
Đặc điểm
Mã tin
33036462
Cập nhật
09/07
Loại tin
Bán đất nền dự án
Mức giá
2,3 tỷ
Diện tích
102m²
Địa chỉ
Phường Tây Sơn, Tam Điệp, Ninh Bình
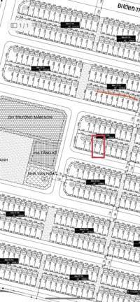
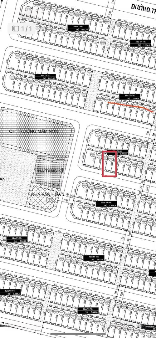
Đất nền dự án nằm ở vị trí đắc địa Đường Đông -Tây tại xã Quang Sơn thành phố Tam Điệp, Ninh Bình,
Với diện tích 102m2, mặt tiền 6m, ngõ vào rộng 10m, rất thuận tiện cho việc xây dựng và phát triển.
Pháp lý đầy đủ, đảm bảo an toàn cho giao dịch.
Đặc biệt, đất có phong thủy tốt, thích hợp cho việc kinh doanh hoặc xây dựng nhà ở. Mặt tiền rộng rãi phù hợp cho việc buôn bán, kinh doanh.
Địa điểm xung quanh:
- Gần siêu thị Đồng Giao
- Công viên trung tâm thành phố Tam Điệp
Liên hệ ngay để biết thêm thông tin chi tiết. Phạm Thúy Hường
Hình ảnh
Với diện tích 102m2, mặt tiền 6m, ngõ vào rộng 10m, rất thuận tiện cho việc xây dựng và phát triển.
Pháp lý đầy đủ, đảm bảo an toàn cho giao dịch.
Đặc biệt, đất có phong thủy tốt, thích hợp cho việc kinh doanh hoặc xây dựng nhà ở. Mặt tiền rộng rãi phù hợp cho việc buôn bán, kinh doanh.
Địa điểm xung quanh:
- Gần siêu thị Đồng Giao
- Công viên trung tâm thành phố Tam Điệp
Liên hệ ngay để biết thêm thông tin chi tiết. Phạm Thúy Hường
Đặc điểm nổi bật
Diện tích :
102m2
Mặt tiền :
6m
Giá :
2,3 tỷ
Đường vào :
10m