Tin đăng này đã hết hạn trên sosanhnha.com
Bạn có thể sử dụng công cụ tìm kiếm trên website để tìm những tin đăng mới nhất.
hoặc xem chi tiết tin
Có thể bạn quan tâm
Bán đất
Cần Bán Nền Biệt Thự Kdc Kiều đàm, 12.7x25m. Dtcn 291m2
49 tỷ
291m²
Đặc điểm
Mã tin
33187377
Cập nhật
26/07
Loại tin
Bán đất
Mức giá
49 tỷ
Diện tích
291m²
Địa chỉ
Phường Tân Hưng, Quận 7, Hồ Chí Minh
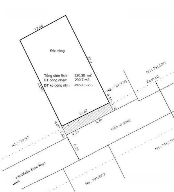
NỀN BIỆT THỰ KHU KDC KIỀU ĐÀM QUẬN 7
Giá bán: 49 Tỷ còn thương lượng
DT: 12.7x25, DTCN: 291m, H. Đông Nam
Hiện trạng đất trống, lô nhì MT đường 20M
Đường nhựa 8M, ngay khu Biệt Thự Cao cấp
LH : zalo)
Hình ảnh
Giá bán: 49 Tỷ còn thương lượng
DT: 12.7x25, DTCN: 291m, H. Đông Nam
Hiện trạng đất trống, lô nhì MT đường 20M
Đường nhựa 8M, ngay khu Biệt Thự Cao cấp
LH : zalo)
Đặc điểm nổi bật
Diện tích :
291m2
Giá :
49 tỷ
Có thể bạn quan tâm
-
Đất góc 2 MT Đường 793 Kiều Đàm Quận 7. DT 20x22m CN 437m2
80 tỷ 437m² góc 2 mặt tiền đường 793 khu kiều đàm phường tân hưng Q7
-
bán đất 2 lô đất hxh 1014 trần xuân soạn p. tân hưng tp. hcm. ngang 10x18m khu vực xây cao tầng
20,5 tỷ 180m² Hẻm 1014, Phố Trần Xuân Soạn, Phường Tân Hưng, Quận 7, Hồ Chí Minh
-
bán đất sổ đỏ bên hông cầu him lam, p. tân hưng q7
12 tỷ 55.6m² Đường Nguyễn Thị Thập, Phường Tân Hưng, Quận 7, Hồ Chí Minh
-
đất xây chdv, đường nhựa 8m, gần chợ, 10.5m x 18m, sát khu him lam, cách q1 chỉ 1 cây cầu
20,5 tỷ 180m² Phố Trần Xuân Soạn, Phường Tân Hưng, Quận 7, Hồ Chí Minh
-
vip - góc 440m² full thổ 2 mặt tiền kdc kiều đàm q7 giá 80 tỷ (tl)
80 tỷ 440m² Phố Trần Xuân Soạn, Phường Tân Hưng, Quận 7, Hồ Chí Minh
-
lô đất xây chdv, kdc himlam đường nguyễn thị thập, p. tân hưng, quận 7, tp. hcm
13 tỷ 57m² Đường Nguyễn Thị Thập, Phường Tân Hưng, Quận 7, Hồ Chí Minh