90 m²
7,02 tỷ
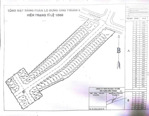
Khu dân cư Sở Văn Hóa Thông Tin, Đường Bưng Ông Thoàn, Phường Phú Hữu, Quận 9, Hồ Chí Minh
Dự án Sở văn hoá thông tin, mặt tiền đường Bưng Ông Thoàn - Liên Phường, p. Phú Hữu, quận 9.
Tổng hợp một số lô đang bán:
- Diện tích 90m², hướng Tây Bắc, đường vào 12m, giá 78tr/m².
- Diện tích 75m2, hướng Tây Nam, trục phụ 20m, giá 100tr/m2.
- Diện tích 100m², hướng Đông Nam, đường vào 12m, giá bán 69.5tr/m².
- Diện tích 120m², hướng Đông Bắc, đường vào 12m, giá bán 69 tr/m², 1 sẹc Liên Phường.
- Mặt tiền Bưng Ông Thoàn, diện tích 130m2, giá 112tr/m2.
Ngoài ra bên em còn ký gửi
1 giờ 59 phút trước