113 m²
735 triệu
Xã Trù Hựu, Lục Ngạn, Bắc Giang
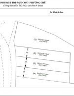
Đất Nền thổ cư 113m2, sổ đỏ đầy đủ, giá chỉ 735 triệu. Mặt tiền rộng 5m, ngõ vào 4m, thích hợp cho nhiều mục đích sử dụng. Địa điểm lý tưởng để xây nhà hoặc đầu tư. Khu vực này có phong thủy tốt, mang lại tài lộc cho gia chủ. Không cần lo lắng về pháp lý, mọi thứ đã sẵn sàng
Tiện ích: Cạnh đường quy hoạch 36m, đại lộ hoa quả, trung tâm thương mại dịch vụ, trường học, bệnh viện và công viên trung tâm Chũ
Địa chỉ cũ: Trù hựu, lục ngạn, bắc giang ( Nay TDP Mịn Con, Phường Chũ, Tỉnh Bắc Ninh)
Liên
10:35 04/11/2025